Finding shipwrecks and planes lost at sea
Colin Dunlop is not your typical civil servant.
On the day we join him, his commute is not by car or bus, his working environment is not a hot-desking city centre office and what he's searching for does not, for the most part, come via email or spreadsheet.
Instead, his nine-to-five is on the sea, where his job is to find, map and help protect Northern Ireland's hidden marine heritage. That includes hundreds of sunken ships and crashed planes that litter the seabed off the coast.
That's why we're here, bobbing about off the coast of Rathlin Island, about 30 minutes sailing from Ballycastle.
We're just above the wreck of the SS Lochgarry, a merchant vessel that took part in the Dunkirk evacuation of World War Two and later sank off the island's coast, killing 23 crew members.
The Lochgarry, which was recently given protection under law, is just one of the wrecks that Colin and his team are scanning and mapping.
"We've located hundreds of wrecks, but there are thousands of vessels scattered off our coast that are yet to be found and are hidden by the sea," he says.
The teams use a mixture of old maps, historical accounts, local knowledge and sonar to locate and record the wrecks.
So far, 384 sunken ships and crashed planes have been located around Northern Ireland's shoreline.
The earliest shipwreck is a Spanish Armada vessel from the 1500s, but most are wooden sailing merchant vessels from the 19th Century and World War One and Two vessels.
But marine heritage isn't just shipwrecks. Northern Ireland's inshore and offshore regions contain a rich archaeological record spanning the previous 9,000 years.
DAERA/Ordnance Survey IrelandIt includes material ranging from prehistoric flint tools and log boats to historic harbour installations.
These artefacts are recorded and monitored through a partnership between the Department for Communities' Historic Environment Division and the Department of Agriculture's Marine and Fisheries Division.
They also maintain a live map of every recorded wreck around Northern Ireland and ensure these heritage sites are appropriately protected.
Hidden history
To date only 1% of the wrecks have been given special designated protection under law, similar to that of a listed building.
But officials are trying to raise awareness about the historical significance of such vessels, regardless of their protection status.
Colin, the project's historic environment adviser, said the team is responsible for "protecting historic assets within Northern Ireland's territorial waters".

"But we have limited resources, so raising awareness about why these wrecks are valuable is really important."
He added: "Most people probably don't realise that our waters are filled with this rich history, but hopefully we can change that."
Authorities say that while most sea divers in Northern Ireland act responsibly, there have been instances when wrecks have been damaged and had pieces taken from them.
From Dunkirk to Rathlin

The SS Lochgarry was a World War Two merchant vessel adapted for military use - originally launched in 1898, it was used for many years as a passenger and cargo vessel around the Scottish Islands.
It was requisitioned for the war effort in 1940 and took part in Operation Dynamo, the evacuation of British and French troops from the beaches of Dunkirk.
During this operation it was damaged by enemy bombs, but still returned to England safely with more than 1,000 troops on board.
Nigel MotyerOn 21 January 1942, the Lochgarry sailed from Glasgow to pick up a group of soldiers bound for the Faroe Islands - 50 people were on board.
The weather turned and it strayed significantly off course and struck rocks. The crew abandoned ship half a mile from Rathlin Island.
Of the crew, 27 made it to the shore - however, one of the lifeboats hit a rock and 23 died.
The wreck of Lochgarry currently sits in more than 30m of water near the east coast of the island.
Look but don't touch

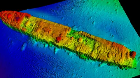
Now, floating above the Lochgarry's resting place on the seabed, the team are here to undertake the first survey of the wreck since it received official protection.
Tim Mackie, the senior scientific officer on the project, said it involved going to the wreck and taking detailed sonar scans.
"We get resolution down to about 5cm, so we will pick it up every lump and bump," he said.
"The scan is that detailed that you could 3D print a real-to-life model of the wreck."
DAERAScans like this allows the team to assess if anything has changed with the wreck over time.
Tim said that diving is still permitted around Lochgarry, but on a "look, don't touch" basis and any damage is a criminal offence.
He added: "It's a bit like going to Scrabo Tower and hammering chunks of it, you wouldn't do it, so why would you do it to something under water.
"These are hugely important heritage assets that tie us to our past."
