New images of 5,000-year-old Highland burial site
Andy Hickie- Scotland's longest chamber cairn burial site has been the scene of recent activity
- Carn Glas, near Inverness, is believed to be 5,000 years old
- New images have been taken of the site on Essich Moor
- Gorse bushes that obscured the chambered cairn have also been removed
New images have been made of one of Scotland's most significant prehistoric burial sites.
Carn Glas, near Inverness, is thought to date to the Neolithic period and be about 5,000 years old.
It is one of Scotland's longest chambered cairn, measuring 116m (380ft) in length.
Bones were removed from the site on Essich Moor by antiquarians in 1918, according to Historic Environment Scotland (HES).
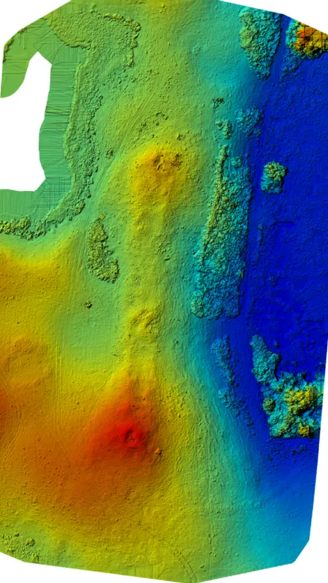
Andy HickieThe new photographs include images in false colours that clearly show the shape of Carn Glas.
The images by Andy Hickie have been published by North of Scotland Archaeological Society (NOSAS), which has an interest in conserving the site.
The society has been clearing away gorse that had obscured the protected monument.
Andy HickieHES describes Carn Glas as having significant archaeological importance due to its potential for improving understanding of Neolithic rituals and funeral practices.
It comprises three interlinked cairns.
Other sites from the same period in history are close by, and include a stone circle at Torbreck and chambered cairn at Culduthel in Inverness.
Andy HickieChambered cairns are found elsewhere in Scotland, although not all of the same construction.
Little remains of some after they robbed of stone for building dykes around fields on crofts or farms.
One site in Dumfries and Galloway - called Cairn Holy II - is said to be the tomb of a mythical Scottish king called Galdus.





