Shipwreck found under Bristol Channel's shifting sands
Bristol PortA sunken ship has been discovered after more than 100 years buried under the shifting sands of the Bristol Channel.
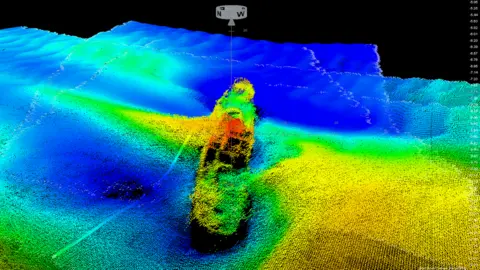
The Brunswick sank on Christmas Eve 1900 as it approached Bristol, with the loss of seven lives.
Images taken by Bristol Port's hydrographic team have revealed the wreck of the cargo vessel.
Its secrets are likely to remain protected as it is already being reburied by sand and sediments.
The Brunswick was a British screw steamer built in Glasgow in 1898 and ran regularly delivering cargo between Liverpool and Bristol.
A report revealed it sank at about 5:30 GMT on 24 December after running aground in thick fog as it approached Black Nore Point, near Portishead.
Bristol Port
The court hearing in January 1901 was "of the opinion that it was caused by the vessel grounding on a very steep bank, which gave her a heavy list, and so subjected her to a strong flood tide setting broadside on her starboard bilge".
Seven men drowned and the master of the ship, John Richard Wade, was criticised for not slowing down or asking for an extra lookout "instead of going on blindly at full speed as he appears to have done".
A Bristol Port team, which was carrying out a routine survey of the channel, has now spotted the wreck 117 years later.
Dynamic channel
John Chaplin from the Bristol Port company, said the discovery was the first of its type he had experienced in 17 years.
"The dynamic nature of the estuary means the sands and sediments are shifting all the time," he added.
"It just happened that this wreck has been exposed as we were surveying the area."
A second site visit has revealed that the wreck is already being covered again.
