MH370 શોધમાં પ્લેન તો ના મળ્યું પણ મળ્યું 19મી સદીનું જહાજ!

ઇમેજ સ્રોત, AUSTRALIAN TRANSPORT SAFETY BUREAU
મલેશિયન ઍરલાઇન્સની ફ્લાઇટ MH370 ગુમ થયાની ઘટના તમને કદાચ યાદ હશે. 2014માં આ ફ્લાઇટ ગુમ થઈ હતી જેની અત્યારસુધી કોઈ માહિતી મળી નથી.
આ ફ્લાઇટ ક્યાં ગુમ થયા બાદ એક મોટું શોધ અભિયાન ચલાવવામાં આવ્યું હતું. તેમ છતાં પણ શોધ કરનારાઓને તેની કોઈ જાણકારી મળી નહીં.
પરંતુ આ શોધ દરમિયાન 19મી સદીમાં ડૂબી ગયેલાં વેપારી જહાજોના કેટલાક ભાગો મળી આવ્યા છે.
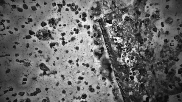
શોધકર્તાઓનું કહેવું છે કે ઑસ્ટ્રેલિયાથી 2,300 કિમી દૂર 2 જહાજોના કેટલાક ભાગ મળી આવ્યા છે.
ભારતીય મહાસાગરમાં શોધ દરમિયાન 2015માં આ જહાજ મળી આવ્યું હતું.
તમે આ વાંચ્યું કે નહીં?
નિષ્ણાંતોનું કહેવું છે કે આ જહાજો કોલસાનું પરિવહન કરતાં હતાં. આ જહાજના ભાગોને ઓળખવા માટે સોનાર પિક્ચર્સ અને શિપિંગ રેકૉર્ડનો ઉપયોગ કરવામાં આવ્યો હતો.
MH370ની ચાર વર્ષ બાદ પણ કોઈ ભાળ મળી નથી. આ ફ્લાઇટે કુઆલા લમ્પુરથી બેઇજિંગ જવા માટે ઉડાણ ભરી હતી અને ત્યારબાદ તે ગુમ થઈ ગઈ હતી. આ સમયે પ્લેનમાં 239 લોકો મુસાફરી કરી રહ્યા હતા.
End of સૌથી વધારે વંચાયેલા સમાચાર
દરિયાઈ પુરાતત્ત્વશાસ્ત્રના ક્યુરેટર ડૉ. રોસ એન્ડરસનના કહેવા પ્રમાણે જહાજોના મળી આવેલા ભાગ 1883માં ગુમ થયેલા વેસ્ટ રિજ, 1894માં ગુમ થયેલા કુરીંગા અથવા 1897માં ગુમ થયેલા લેક ઓન્ટારી જહાજોમાંથી કોઈ એક જહાજના હોઈ શકે છે.

ઇમેજ સ્રોત, AUSTRALIAN TRANSPORT SAFETY BUREAU
તેમના જણાવ્યા પ્રમાણે વેસ્ટ રિજ નામનું જહાજ 28 ક્રુ સાથે ઇંગ્લેન્ડથી ભારત આવવા માટે નીકળ્યું હતું અને ત્યારે તે ગુમ થઈ ગયું હતું. આ જહાજ તે જ હોય તેવી શક્યતા વધારે છે.
એન્ડરસને કહ્યું, "1000થી 1500 ટન વજન ધરાવતા આ જહાજને સમુદ્રનાં તળીયે એટલે કે સપાટીથી 4 કિલોમીટર નીચેથી શોધવામાં આવ્યું છે."
તેમના જણાવ્યા પ્રમાણે 19મી સદીના આ જહાજ ડૂબવાનું કારણ તેમાં થયેલો વિસ્ફોટ હોઈ શકે છે અને કોલસાનાં પરિવહન સાથે સંકળાયેલાં જહાજોમાં આવા વિસ્ફોટ થવા સામાન્ય છે.
ઉપરાંત તેમણે કહ્યું કે આ અન્ય જહાજો પણ હોઈ શકે છે. તેમની ટીમ એટલા માટે આ અંગે ખાતરીપૂર્વક કહી શકતી નથી કારણ કે જહાજોના પૂરતા રેકર્ડ મળી શક્યા નથી.
જહાજોના આ ભાગ ઑસ્ટ્રેલિયા, ચીન અને મલેશિયામાં MH370ની શોધ દરમિયાન મળી આવ્યા છે.
1,046 દિવસોની શોધખોળ દરમિયાન પણ આ પ્લેનની ભાળ ન મળતાં તેને જાન્યુઆરી 2016માં બંધ કરી દેવામાં આવ્યું હતું.
તમે અમને ફેસબુક, ઇન્સ્ટાગ્રામ, યુટ્યૂબ અને ટ્વિટર પર ફોલો કરી શકો છો



























