Біля узбережжя Бельгії виявили підводний човен часів Першої світової

Автор фото, Tomas Termote
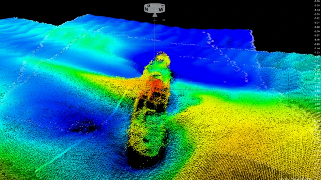
У Північному морі, неподалік узбережжя Бельгії, виявили німецький підводний човен, що затонув під час Першої світової війни.
За попередніми даними, підводний човен класу UB-II лежить на глибині 30 метрів і непогано зберігся.
"Цей підводний човен у хорошому стані, на борту цілком могли зберегтися останки екіпажу", - повідомив губернатор Західної Фландрії Карл Декалюве.
Судячи з усього, підводний човен підірвався на міні.

Автор фото, T Termote
Як повідомив журналістам пан Декалюве, місцезнаходження підводного човна зберігають у таємниці, аби туди не спробували потрапити допитливі люди або мародери.
Однак у ЗМІ все ж потрапили дані про те, що підводний човен може перебувати неподалік від порту Остенде.
Корабель лежить на правому боці, і на його борту можуть перебувати тіла 23 членів екіпажу. Посольство Німеччини вже сповістили про знахідку.
"На підводних човнах цього класу був передбачений екіпаж у складі 22 осіб на чолі з командиром", - пояснив губернатор.

Автор фото, T Termote
Попри повідомлення про хороший стан корабля, у нього пошкоджена верхня палуба. При цьому всі люки човна, як і раніше задраєні.
У бельгійських водах вже виявили 11 німецьких підводних човнів часів Першої світової, але ця знахідка збереглася найкраще.
UB-II будували з 1915 по 1916 рік. Вони могли занурюватися на глибину до 50 метрів.




















