Руйнівний ураган "Ірма" наближається до Флориди

Автор фото, Getty Images
Штормовий вітер і злива обрушилися на південь штату Флорида, до півострова наближається руйнівний ураган "Ірма".
На узбережжі збільшується рівень води, очікується, що ураган призведе до затоплення низинних районів.
6,3 млн жителям влада наказала евакуюватися - це понад чверть всього населення Флориди.
У суботу ввечері губернатор штату Рік Скотт попередив, що час для евакуації вже минув - жителям Флориди наказали залишити свої будинки і відправитися в укриття, а також уникати подорожей дорогами.
За його словами, зараз вже занадто пізно залишати зони ризику.

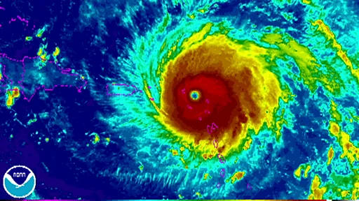
Автор фото, Reuters
Потужність "Ірми" в суботу знизили з п'ятої категорії до третьої, проте синоптики побоюються, що коли ураган досягне Флориди, його потужність знову виросте до максимальної категорії. Поки швидкість вітру складає близько 193 км на годину.
Раніше ураган ударив по Кубі, принісши зливи і шквальний вітер. Згідно із заявою місцевого уряду, він завдав значної шкоди прибережним поселенням і курортам та залишив без електрики декілька районів острова.

Автор фото, EPA
За даними ЗМІ, швидкість вітру на Кубі досягала 250 кілометрів на годину, висота хвиль - семи метрів. Понад мільйон кубинців евакуювалися в очікуванні урагану, повідомлень про загиблих немає.
За останніми даними, ураган забрав життя щонайменше 24 людей.
Що відбувається у Флориді?
"Ірма", як очікується, досягне узбережжя Сполучених Штатів близько полудня в неділю,
На островах Флорида-Кіс на південний схід від півострова вже зафіксовані невеликі руйнування, близько 76 тисяч людей залишилися без електрики. Передбачається, що саме на них припаде основний удар стихії.
Голова федерального агентства США з управління в надзвичайних ситуаціях (FEMA) Брок Лонг заявив, що безпечних місць на архіпелазі Флорида-Кіс немає.
"Ви дуже ризикуєте, якщо не евакуюєтесь", - додав він.
На шляху урагану також є міста Тампа і Сент-Пітерсберг.
Губернатор штату Рік Скотт звернувся до жителів, які проживають районах в зоні ризику, із суворим попередженням.
"Якщо ви до о півдня не будете в дорозі на західному узбережжі, вам потрібно буде відправитися в укриття, до друзів, якщо ви не в зоні евакуації. Залиште дороги", - сказав він в інтерв'ю NBC.
За його словами, в прибережних районах висота штормової хвилі може досягати майже чотирьох метрів. Він додав, що люди при такій стихії вижити не зможуть.

Автор фото, ВВС
Губернатор розповів, що по всьому штату десятки тисяч людей перечікують негоду у сховищах. За інформацією ЗМІ, в деяких місцях сховища вже переповнені, і деяким бажаючим довелося відмовити.
У Майамі і окрузі Броуард ввели комендантську годину, щоб розчистити дороги від автотранспорту.

Автор фото, Reuters
Міжнародний комітет Червоного Хреста раніше повідомив, що вже більше мільйона жителів островів Карибського басейну постраждали від "Ірми" і ще 26 мільйонів залишаються під загрозою.
Ураган зруйнував майже всі будівлі на Барбуда і залишив без електрики жителів Пуерто-Ріко, а також приніс значні руйнування на Британські Віргінські острови, острови Сен-Мартен, Сен-Бартелемі і Сент-Кітс і Невіс.




























