फिलीपींस में हेयान तूफ़ान की तबाही

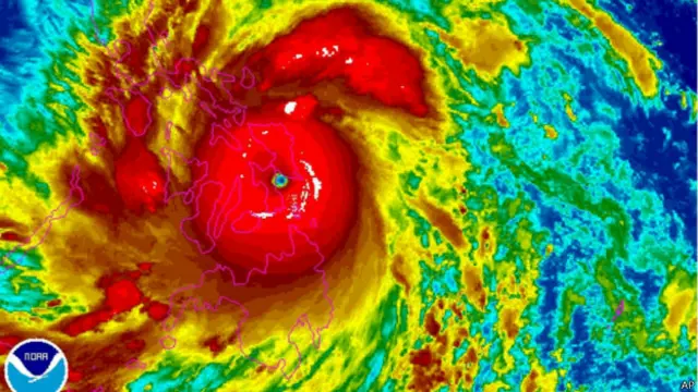
फ़िलीपींस का एक बड़ा हिस्सा हेयान तूफ़ान की 314 किलोमीटर प्रति घंटे की रफ़्तार वाला हवाओं से जूझ रहा है.
मौसम विज्ञानियों ने उपग्रह से ली गई तस्वीरों के आधार पर शुरुआती अनुमान लगाया है कि भूस्खलन के लिहाज़ से यह अब तक सबसे ताक़तवर तूफ़ान साबित हो सकता है.
<link type="page"><caption> तस्वीरों में देखेंः फिलीपींस में भंयकर तूफान</caption><url href="http://www.bbc.co.uk/hindi/multimedia/2013/11/131108_typhoon_haiyan_picture_gallery_sr.shtml" platform="highweb"/></link>
अधिकारियों ने बताया कि हेयान तूफ़ान की वजह से फ़िलीपींस के 20 प्रांतों के लाखों लोगों को अपना घर छोड़कर सुरक्षित ठिकानों पर शरण लेने के लिए मजबूर होना पड़ा है. कम से कम तीन लोग मारे गए हैं.
ये इलाक़ा पिछले महीने आए एक शक्तिशाली भूकंप से उबरने की कोशिश कर रहा था.
अधिकारियों ने चेतावनी जारी की है कि देश के एक करोड़ 20 लाख से ज़्यादा लोग तूफ़ान के खतरे में हैं. इसमें 25 लाख की आबादी वाली देश का दूसरा सबसे बड़ा शहर सेबु भी शामिल है.
इस तूफ़ान को स्थानीय लोगों ने 'योलांडा' का नाम दिया है. हालांकि हेयान तूफ़ान का सीधा असर राजधानी मनीला पर पड़ने की उम्मीद कम ही है.
राहत और बचाव

सेबु शहर की संस्था चैरिटी वर्ल्ड विज़न के माई ज़ामोरा ने बीबीसी को बताया, "यहाँ तूफ़ान का शोर सुना जा सकता है. ये बहुत ताक़तवर है और लगातार मूसलाधार बारिश हो रही है. ताकलोबन शहर में मौजूद हमारे साथियों ने टिन की छतों को पतंगों की तरह उड़ते देखा."
<link type="page"><caption> तूफान में 325 से ज्यादा की मौत</caption><url href="http://www.bbc.co.uk/hindi/international/2012/12/121205_philippines_typhoon_sa.shtml" platform="highweb"/></link>
फ़िलीपींस में स्कूल और दफ़्तर बंद कर दिए गए हैं. उड़ान और दूसरी यातायात सेवाएं स्थगित कर दी गईं हैं. सैनिकों को राहत और बचाव कार्य के लिए तैयार रहने को कहा गया है.
हालांकि तूफ़ान से होने वाले नुकसान का अभी तक अंदाज़ा नहीं लगाया जा सका है. अधिकारी कहते हैं कि कई इलाक़ों में टेलीफोन सेवाएँ बाधित हैं.
दक्षिणी लेयते प्रांत के गवर्नर रोगर मर्काडो ने शुक्रवार सुबह ट्वीट किया कि गिरे हुए पेड़ों की वजह से सड़कें बंद हैं और इसका असर आपातकालीन सेवाओं पर पड़ा है.
लेयते प्रांत के ही ताकलोबान शहर के निवासी रोक्साने सॉम्बाइज़ ने बीबीसी को बताया, "मुझे लगा मेरा घर हिल रहा है..मैं बस उसे रोकना चाहता था."
तूफ़ान की इंतेहा

उत्तर पूर्वी मिंडानाओ प्रांत में सुरीगाव सिटी के पादरी डियोस्डाडो कैसेरा कहते हैं कि उनका शहर तूफ़ान की इंतेहा देखने से बच गया, लेकिन इसके बावजूद बड़ी तबाही हुई है.
<link type="page"><caption> फिलीपींस में तूफान</caption><url href="http://www.bbc.co.uk/hindi/news/story/2004/12/041202_typhoon_phillipines.shtml" platform="highweb"/></link>
उन्होंने बताया, "तूफ़ान बहुत ताक़तवर था. हालांकि सुरीगाव सिटी पर इसका सीधा असर नहीं पड़ा. हमने सवेरे इसका एक तेज़ झटका महसूस किया. कंक्रीट की बनी बड़ी इमारतें तो महफूज़ थीं, लेकिन लकड़ी और प्लाई के घरों को बहुत नुकसान पहुँचा है, खासकर उनकी छतों को."
बोहोल के तागबिलारान में ब्रिटिश रेडक्रॉस की प्रवक्ता निकोला जोंस ने बताया कि बीते घंटों में तूफ़ान गुज़रा है.
उन्होंने कहा, "यहाँ बिजली चली गई है. कुछ जगहों पर छतों को नुकसान पहुँचा है, लेकिन मुझे लगता है कि उत्तर के इलाकों को सबसे ज़्यादा नुकसान पहुँचा है. ये वही इलाके हैं, जहाँ पिछले महीने भूकंप का सबसे ज़्यादा नुकसान हुआ था."
निकोला ने बताया कि तूफ़ान से सबसे बुरी तरह प्रभावित होने वाले समर और लेयते के इलाक़े में इमारतों के गिरने की ख़बरें हैं.
<italic><bold>(बीबीसी हिन्दी के <link type="page"><caption> एंड्रॉएड ऐप</caption><url href="http://www.bbc.co.uk/hindi/multimedia/2013/03/130311_bbc_hindi_android_app_pn.shtml" platform="highweb"/></link> के लिए आप <link type="page"><caption> यहां क्लिक</caption><url href="https://play.google.com/store/apps/details?id=uk.co.bbc.hindi" platform="highweb"/></link> कर सकते हैं. आप हमें <link type="page"><caption> फ़ेसबुक</caption><url href="https://www.facebook.com/bbchindi" platform="highweb"/></link> और <link type="page"><caption> ट्विटर</caption><url href="https://twitter.com/BBCHindi" platform="highweb"/></link> पर फ़ॉलो भी कर सकते हैं.)</bold></italic>












