फ़िलीपींस में भयंकर तूफ़ान
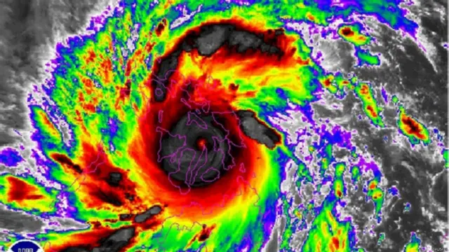
शुक्रवार सुबह तूफ़ान हेयान ने फ़िलीपींस में जमकर तबाही मचाई. फ़िलीपींस में इस साल का यह 25वां तूफ़ान है और सबसे ताकतवर भी.










शुक्रवार सुबह तूफ़ान हेयान ने फ़िलीपींस में जमकर तबाही मचाई. फ़िलीपींस में इस साल का यह 25वां तूफ़ान है और सबसे ताकतवर भी.









