فلپائن میں آفت: ’تاریخ کا بدترین طوفان‘ جزیرے سے ٹکرا گیا

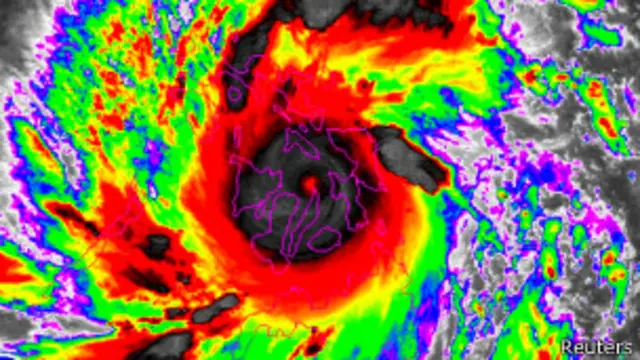
رواں سال کا سب سے طاقتور سمندری طوفان ہیان فلپائن سے ٹکرا گیا ہے جس کے بعد متاثرہ علاقوں میں تین سو کلومیٹر فی گھنٹہ سے زیادہ کی رفتار سے ہوائیں چل رہی ہیں۔
یہ اس سال فلپائن میں آنے والا پچیسواں طوفان ہے۔
ماہرینِ موسمیات کے مطابق اگر سیٹلائیٹ کی مدد سے لی جانے والی تصاویر کی بنیاد پر لگائے جانے والے اندازے صحیح نکلے تو یہ زمینی علاقے سے ٹکرانے والا تاریخ کا سب سے طاقتور سمندری طوفان ثابت ہو سکتا ہے۔
طوفان کی وجہ سے ملک کے 20 صوبوں میں لاکھوں افراد کو محفوظ مقامات پر منتقل کیا گیا ہے جبکہ حکام کے مطابق اب تک تین افراد کی ہلاکت کی تصدیق ہو چکی ہے۔
حکام نے خبردار کیا ہے کہ اس طوفان سے ایک کروڑ بیس لاکھ افراد متاثر ہو سکتے ہیں اور ہلاک شدگان میں سے دو کرنٹ لگنے اور ایک آسمانی بجلی گرنے سے ہلاک ہوا۔
اطلاعات کے مطابق طوفان کی وجہ سے سمار، لیت اور بوہول کے صوبوں میں بجلی اور مواصلات کا نظام مکمل طور پر تباہ ہو چکا ہے۔

طوفان کے راستے میں واقع شہروں اور دیہاتوں میں سکول اور دفاتر بند کیے جا چکے ہیں۔ طوفان کی گزر گاہ میں وہ علاقے بھی شامل ہیں جو گذشتہ ماہ آنے والے زلزلے کی تباہی سے سنبھلنے کی کوشش کر رہے ہیں۔
فلپائن کے محکمۂ موسمیات کے مطابق درجہ پانچ شدت کا یہ طوفان اس وقت ملک کے مشرقی صوبے سمار میں گوئیوان کے جنوب مشرق میں موجود ہے۔
End of سب سے زیادہ پڑھی جانے والی
فلپائن کے جنوبی صوبے لیٹی کے گورنر راجر مرکاڈو نے جمعے کی صبح ٹوئٹر پر بتایا کہ سمندری طوفان کے باعث درخت گرنے سے سڑکیں بند ہو چکی ہیں اور امدادی کارروائیوں میں مشکلات پیش آ رہی ہیں۔
حکام کے مطابق ہیان نامی سمندری طوفان دارالحکومت منیلا کو براہِ راست متاثر نہیں کرے گا۔
فلپائن کے جنوبی صوبے لیٹی میں موجود ایک استاد نے مقامی ریڈیو سٹیشن کو بتایا ’ہم محسوس کر سکتے ہیں کہ باہر بہت تیز ہوائیں چل رہی ہیں اور ہمارا سکول پناہ گزینوں سے بھر چکا ہے۔‘

فلپائن کے ماہرِ موسمیات رومیو نے خبر رساں ایجنسی اے ایف پی کو بتایا ہیان نامی سمندری طوفان مقامی وقت کے مطابق صبح چار بجے آیا۔
سمندری طوفان ہیان کو فلپائن میں یولانڈا کا نام دیا گیا ہے اور یہ اس برس بحرالکاہل میں آنے والا سب سے طاقت ور طوفان ہے۔
اس طوفان کی گزر گاہ میں بوہول نامی جزیرے سمیت وہ علاقے بھی ہیں جہاں گذشتہ ماہ زلزلے کی تباہی ہوئی تھی۔
بوہول میں پانچ ہزار افراد زلزلے میں گھروں کے منہدم ہونے کے بعد اب خیموں میں رہ رہے ہیں۔ اس زلزلے میں دو سو افراد ہلاک ہوئے تھے۔
فوج کا کہنا ہے کہ وہ دور دراز علاقوں میں لوگوں کے لیے خوراک اور امداد پہنچا رہی ہے اور ہیلی کاپٹر تیار کھڑے ہیں تاہم بحری جہازوں کے ذریعے امداد روک دی گئی ہے اور ماہی گیروں کی کشتیاں بھی ساحل پر واپس بلا لی گئی ہیں۔







