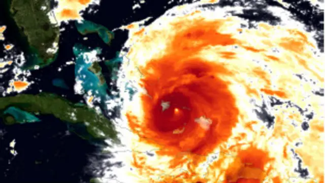
Badai Irene menuju AS

Sumber gambar, ap
Badai Irene diperkirakan akan mencapai pantai timur Amerika Serikat, setelah sebelumnya melanda Bahama.
Badai pertama musim Atlantik ini telah menjadi badai kategori tiga dengan kekuatan angin 190km/jam dan diperkirakan akan terus menguat.
Kepulauan Outer Banks Carolina Utara telah diungsikan. Penduduk mulai menyimpan pasokan di daerah pantai negara bagian Amerika Serikat.
Badai besar menyebabkan banjir dan listrik mati di Karibia.
Kerusakan
Di pulau Mayaguana, Bahama, Irene merusak atap, menerbangkan pohon dan tiang listrik, membuat pulau tersebut tidak memiliki pasok listrik, lapor Associated Press mengutip perwira polisi, Vernon Rahming.
Kapten Stephen Russell, pimpinan Badan Penangangan Darurat Nasional Bahama mengatakan kepada AP bahwa dua pulau selatan adalah daerah yang paling parah terkena akibatnya.
Dua pemukiman rusak di Acklins dan Crooked, pulau yang dihuni ratusan orang, katanya.
Curah hujan di beberapa tempat Bahama diperkirakan mencapai 30 cm sehingga jalan ke ibu kota Nassau sulit dilalui.



























