پانی کے اندر آتش فشاں کا سراغ: سائنس دان یہ کیسے پتا لگاتے ہیں کہ اگلا آتش فشاں کب اور کہاں پھٹے گا؟

،تصویر کا ذریعہMaxar via Getty Images
- مصنف, ایڈرینی برن ہارڈ
- عہدہ, بی بی سی فیوچر
سنہ 1883 کے موسم گرما کے دوران جاوا اور سُماٹرا کے جزیروں کے درمیان واقع آبنائے سنڈا میں ایک کیلڈیرا (آتش فشاں کے دہانہ) میں تیزی سے ہلچل پیدا ہونے لگی اور یہ ہنگامہ خیز ہوتا گیا یہاں تک کہ اس سے نکلنے والی راکھ اور بھاپ کے بڑے بڑے ٹکڑے آسمان کو چھونے لگے۔
پھر 26 اگست کو ایک زیر آب آتش فشاں نے تقریباً 25 مکعب کلومیٹر (چھ مکعب میل) کے برابر ملبہ نکال پھینکا۔ وہاں سے نکلنے والی راکھ اور لاوا قریبی بستیوں میں بہہ رہا تھا۔ اس آتش فشاں کے پھٹنے کی وجہ سے دسیوں ہزار لوگ مارے گئے۔ کراکاٹوا تاریخ کے مہلک ترین زیر آب آتش فشاں کے پھٹنے میں سے ایک ہے۔
تقریباً ڈیڑھ صدی بعد 15 جنوری سنہ 2022 کو پانی کے اندر کا ایک اور عفریت اپنی نیند سے بیدار ہوا لیکن اس بار اس کا مرکز ٹونگا کے ساحل سے پرے تھا۔
بہر حال ہنگا ٹونگا-ہنگا ہاپائی میں پھٹنے والا زیر آب آتش فشاں اور اس کے نتیجے میں آنے والا سونامی مختلف تھا۔ آتش فشاں کے ماہرین ہر وقت زیر آب پہاڑ سے نکلنے والے مادے کی تفیصل ریکارڈ کر رہے تھے، اور جو کچھ انھوں نے دیکھا اس نے ان کی توقعات کو الجھا دیا۔
جنوبی بحر الکاہل کا ملک اس دھماکے کی وجہ سے زیر سمندر مواصلاتی کیبل منقطع ہونے کی وجہ سے باقی دنیا سے بالکل کٹ کر رہ گیا تھا۔ لیکن سیٹلائٹ نے آتش فشاں کی راکھ سے اٹھنے والے بادلوں سے نکلنے والے بجلی کے سینکڑوں چارجز کو ریکارڈ کیا۔
ریموٹ سینسرز نے طاقتور جھٹکوں کی لہروں کو ریکارڈ کیا جو کئی دنوں تک پوری دنیا میں گونجتی رہیں۔ راکھ کا ایک کالم کرۂ ارض کے ماحول کے بیرونی حصوں کی بلندیوں تک پہنچ گیا جو پہلے کبھی نہیں دیکھا گیا تھا۔
ہنگا ٹونگا کا پھٹنا جہاں ٹونگا میں رہنے والے تقریباً 100,000 لوگوں کے لیے انسانی آفت کا پیش خیمہ تھا وہیں یہ باقی دنیا کے لیے اسرار اور احتیاط کی ایک کھلتی ہوئی کہانی بھی ہے۔
اس نے سائنسدانوں کو سمندروں کی تہہ میں چھپے ہوئے بہت سے آتش فشاؤں سے لاحق خطرات کے بارے میں اپنے نظریات پر نظر ثانی کرنے پر آمادہ کیا۔ اب وہ ان سمندروں میں موجود زیر آب آتش فشاں والے پہاڑ کو تلاش کر رہے ہیں تاکہ زمین اور سمندر کی حفاظت کی جا سکے۔
End of سب سے زیادہ پڑھی جانے والی
ان چیزوں کا پتہ لگانے کے بڑھتے ہوئے جدید اور نفیس طریقوں کے ساتھ، آتش فشاں کے ماہرین ابتدائی انتباہی نظام کو بہتر بنانے، ماحولیاتی اثرات کا تعین کرنے، آتش فشاں کے پھٹنے سے لاحق خطرات کو کم کرنے اور ماحولیاتی نظام کی بحالی میں مدد کی امید رکھتے ہیں۔ آئے یہ جانتے ہیں کون لوگ ہیں جو یہ تلاش کرنے کی کوشش کر رہے ہیں کہ اگلا زیر آب آتش فشاں کہاں چھپا ہوا ہے؟ اور وہ آگے کس جگہ پر نظر رکھے ہوئے ہیں؟
گہرے سمندر میں آتش فشاں کی تلاش زمینی سطح پر موجود آتش فشاں سے کہیں زیادہ مشکل ہے۔ درحقیقت ہم سمندر کے فرش کے بارے میں جاننے سے زیادہ چاند کی سطح کے بارے میں جانتے ہیں۔ لیکن ہنگا ٹونگا کے پھٹنے نے سائنسی برادری کو متحرک کر دیا ہے اور اس برادری نے نامعلوم دائرے کی مزید تلاش کی ضرورت پر زور دیا ہے۔
اپریل سنہ 2022 میں نیوزی لینڈ کے نیشنل انسٹی ٹیوٹ آف واٹر اینڈ ایٹموسفیرک ریسرچ (نیوا) نے ٹونگا کے ڈرامائی طور پر پھٹنے والی جگہ کے لیے سمندری سفر کا آغاز کیا۔ ان کے جہاز آر وی ٹنگاراؤ نے سمندری فرش کے ہزاروں مربع کلومیٹر کا سروے کیا اور ویڈیو امیجز اور نمونے اکٹھے کیے اور ان کی بنیاد پر اب زمین پر دوبارہ مطالعہ کیا جا رہا ہے۔

،تصویر کا ذریعہGetty Images
یہ دیکھتے ہوئے کہ یہ خطہ زلزلہ کے لحاظ سے بہت متحرک ہے، نیوا ہنگا ٹونگا کے ڈرامائی اثرات کی تحقیقات کے لیے ایک منفرد پوزیشن میں قائم ہے۔ نیوا میں سمندروں کے چیف سائنس دان مائیک ولیمز کا کہنا ہے کہ 'ہمارے سفر پر نکلنے سے پہلے، ہمارے پاس ٹونگا کی سرزمین سے نکلنے والی صرف افسانوی معلومات تھیں۔'
پانی کے اندر پھٹنے والے آتش فشاں اکثر اپنے ہی وزن سے گر جاتے ہیں۔ جب سمندری پانی میگما (آتش فشاں سے نکلنے والا گرم سیال مادہ) کے ساتھ ملتا ہے، تو یہ ایک دھماکہ خیز تباہی کا باعث بن سکتا ہے، جس کے نتیجے میں سونامی پیدا ہو سکتی ہے (اور زمین پر زہریلے بخارات پیدا ہو سکتے ہیں)۔ ولیمز نے وضاحت کرتے ہوئے کہا کہ 'ایک دائرے والے کیک ٹن کا تصور کریں جس کا ایک سرا ٹن کے باہر پھٹ گیا ہے۔'
بحری جہاز ٹنگاروا پر سوار محققین کے چند فوری اہداف تھے: اس مقام کا نقشہ بنانا، آتش فشاں کے ذخائر کی بازیافت کرنا تاکہ پھٹنے کی کیمسٹری اور وہاں کی ارضیات کو سمجھنے میں مدد ملے، اور ارد گرد کے سمندری فرش پر کیلڈیرا کے اثرات کا جائزہ لیں۔
تجربہ کار آتش فشاں اور نیوا کے سفر کے راہنما کیون میکے کہتے ہیں: 'ہم صبح سویرے آتش فشاں کے پاس پہنچے، اور آگ کے عذاب اور تشدد کی لہروں کی دو دھندلی چوٹیوں کے درمیان سورج کو طلوع ہوتے دیکھا۔'
ایک بار جب بحری جہاز ہنگا ٹونگا کے بیرونی کیلڈیرا تک پہنچا، تو دور سے چلائے جانے والے ڈیپ ٹوڈ انسٹرومنٹ سسٹم (DTIS) نے سیماؤنٹ کے کنارے تک سفر کیا۔
وہاں سے بغیر پائلٹ کی کشتی سمندر کے فرش کی طرف کسی پروں والے ٹارپیڈو کی طرح لپکی اور اس کے ذریعے سے ٹیم کو ویڈیو فوٹیج ریکارڈ کرنے اور نمونے لینے کا موقع ملا۔ میکے کہتے ہیں کہ 'یہ تھوڑا سا خوفناک تھا۔ ہماری سٹیل کی کشتی کے نیچے مستقل طور پر کسی طرح کے بھی پھٹنے کا خطرہ موجود تھا جس کا مطلب یہ تھا کہ ہم کسی بھی لمحے پلک جھپکتے ہی ڈوب سکتے ہیں۔'
ٹیم کی جانب اس نئے آلے کی آزمائشی تعیناتی نے انھیں دوسرے آتش فشاں سے اٹھنے والے غبار کو سونگھنے اور ہنگا ٹونگا کے ڈھانچے میں ہونے والی تبدیلیوں کو دستاویزی شکل دینے کی سہولت فراہم کی اور یہ تبدیلی بہت ڈرامائی ثابت ہوئی۔
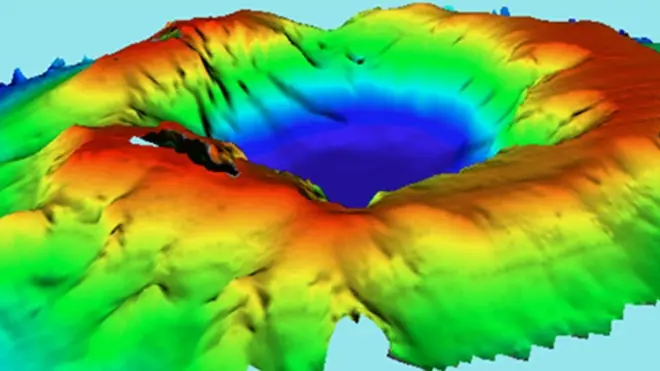
میکے کہتے ہیں کہ 'پھٹنے سے پہلے، کیلڈیرا تقریباً 120 میٹر (396 فٹ) بلند تھا۔ اب یہ ایک کلومیٹر گہرا ہے۔ اس کے علاوہ، ہمیں پائروکلاسٹک (آتش فشاں سے نکلنے والے لاوے کا) بہاؤ ملا جو کہ ہنگامہ خیز، گھنا، بھپری ہوئی ندی کی طرح تھا جو سمندری فرش کے ساتھ بہتی ہیں۔ یہ کم سے کم 60 کلومیٹر (37 میل) تک تمام زاویوں میں پھیل رہی ہے۔'
نیوا کا سفر ٹونگا آیرپشن سی بیڈ میپنگ پروجیکٹ کا حصہ تھا۔ اس مہم کو جاپان میں مقیم ایک غیر منافع بخش نپون فاؤنڈیشن نے مالی اعانت فراہم کی جو کہ سنہ 1962 سے پانی کے اندر تحقیق میں مدد کر رہا ہے۔ واضح رہے کہ اس تنظیم کا مقصد 2030 تک دنیا کے سمندری فرش کا نقشہ بنانا ہے۔
اگرچہ نیوا زیر آب آتش فشاں کی فعال طور پر نگرانی نہیں کرتا، لیکن تنظیم کے پاس ایک فعال تحقیقی پروگرام ہے جو سمندروں کی جانچ کے لیے تیار ہے، جن میں بہت سے معدوم آتش فشاں کی جانچ شامل ہے۔

،تصویر کا ذریعہGetty Images
کچھ زیر آب آتش فشاں کے پھٹنے کی دستاویز تیار کی گئی ہے کیونکہ وہ عام طور پر سمندر کے پانی میں میلوں نیچے چھپے ہوتے ہیں۔ تاہم، سائنسدانوں نے جو مشاہدہ کیا ہے، وہ ہمیں مستقبل کی آفات کے بارے میں اشارہ دے سکتے ہیں۔
مثال کے طور پر سنہ 2018 میں فرانس کے مایوٹے جزیرے میں پانی کے اندر آتش فشاں کے پھٹنے سے ایک زبردست نئے سمندری طوفان نے جنم لیا، جس سے خطے میں زلزلے کی ایک اعلی سطح کا انکشاف ہوا۔ اب مایوٹے کی مسلسل نگرانی کی جاتی ہے اور ریووسیما پر سائنسدانوں کے ایک گروپ کے ذریعے اس کی سرگرمی کو باقاعدگی سے اپ ڈیٹ کیا جاتا ہے۔ ریووسیما ایک مربوط پلیٹ فارم ہے جو آتش فشاں کے خطرات جیسے میگما کے بہاؤ، پانی کے درجہ حرارت اور تیزابیت کے ساتھ ساتھ زلزلے پر بھی نظر رکھتا ہے۔
ریووسیما جیسی کوششیں آتش فشاں کی جاری سرگرمی پر نظر رکھنے کے لیے خاص طور پر اہم ہیں، لیکن یہ غیر معمولی طور پر مہنگی ہیں۔ جہاز کے عملے کا وقت اور آپریشنز پر ایک دن میں 50 ہزار یورو تک خرچ آ سکتا ہے۔ آتش فشاں کے مقام کے قریب کیبل کو محفوظ رکھنے میں (جو مقامی ڈیٹا اکٹھا کرنے کی اجازت دیتا ہے) لاکھوں خرچ آ سکتا ہے۔ انفراسٹرکچر کے لیے فنڈ حاصل کرنے اور اسے تیار کرنے میں برسوں لگتے ہیں۔
لیکن یہ تحقیق انتہائی اہمیت کی حامل ہے۔ نہ صرف اس لیے کہ ہم اس سے فعال آتش فشاں سے لاحق خطرات کا پتہ لگا سکتے ہیں، بلکہ اس لیے بھی اہم ہے کہ ہم اس کے ذریعے آتش فشاں سے پیدا ہونے والے ماحولیاتی اثرات کی بہتر تفہیم پیدا کر سکتے ہیں۔
'زیادہ خطرناک وہ ہیں جو سطح سمندر کے قریب ہیں'
یہ قدرتی مظاہر جس طرح سے رونما ہوتے ہیں وہ ہمیں یہ بتا سکتے ہیں کہ ماحولیاتی نظام کیسے بحال ہوتے ہیں، کیونکہ آتش فشاں کے پھٹنے سے اسی طح کی تباہی ہوتی ہے جیسی انسان کے ذریعے کی جانے والی کان کنی، سمندری سفر، ماہی گیری اور دیگر کھدائی کے کام سے ہوتی ہے۔
مثال کے طور پر، زیر آب آتش فشاں کا پھٹنا زیادہ تر سمندری فرش کے ہلچل یا سمندری گاد کے جمع ہونے سے ہو سکتا ہے۔
پیرس کے ایکول نارمل سوپیریئرے میں لیبریتوائر دی جیؤلوجی کے شعبے میں کام کرنے والے محقق جیویئر سکارٹن کا کہنا ہے کہ 'لوگ آتش فشاں میں دلچسپی رکھتے ہیں کیونکہ وہاں خطرہ ہے۔'
'عمومی طور پر، گہرائی میں موجود آتش فشاں زیادہ خطرہ نہیں رکھتے۔ زیادہ خطرناک وہ ہوتے ہیں جو سمندر کی سطح کے قریب ہوتے ہیں یا جو اس کے اوپر ابھرے ہوتے ہیں۔'
دنیا بھر میں ممکنہ طور پر تقریباً 1,500 فعال آتش فشاں پھیلے ہوئے ہیں (جن میں سے تقریباً 500 ریکارڈ شدہ وقت میں پھٹ چکے ہیں)، لیکن ان میں وہ شامل نہیں ہیں جو سمندر کے فرش پر آتش فشاں کی مسلسل پٹی میں ہیں، جن کے بارے میں کہا جاتا ہے کہ وہ سینکڑوں کی تعداد میں بے شمار ہیں۔

،تصویر کا ذریعہGetty Images
ان میں سے بہت سے ممکنہ طور پر بحر الکاہل کے کناروں کے ساتھ، رنگ آف فائر میں واقع ہیں جو بحر الکاہل کے گرد چکر لگاتا ہے۔ سب سے خطرناک وہ آتش فشاں والے جزیرے ہیں جہاں انسان آباد ہیں۔
ایسکارٹن کہتے ہیں: 'بحیرہ روم یا ہوائی میں ٹونگا کے پیمانے پر دھماکے کا تصور کریں کہ وہاں کس سطح پر اموات اور تباہی ہوگی، اس کے ساتھ معیشت اور نقل و حمل کے نظام کو پہنچنے والے نقصان پر غور کریں۔۔۔ لیکن یقیناً ہم آتش فشاں کا مطالعہ نہیں کر سکتے جب تک کہ یہ نہ جان لیں کہ وہ کہاں ہیں۔'
وہ پانی کے اندر آتش فشاں کیسے تلاش کرتے ہیں؟
آتش فشاں کے علم کے ماہرین زیر آب آتش فشاں کی تلاش کیسے کرتے ہیں، خاص طور پر اس صورت میں جب میٹرک ڈیٹا نسبتاً کم دستیاب ہے؟
اس کا ایک جواب ہائیڈروکوسٹک نگرانی ہے۔ جب ایک آتش فشاں پانی کے اندر پھٹتا ہے، تو یہ صوتی توانائی پیدا کرتا ہے: 1200 سیٹی گریڈ جتنا گرم لاوا جب تقریباً منجمد سمندری پانی سے ملتا ہے، تو یہ بخارات بن جاتا ہے، جس سے زور کا دھماکہ ہوتا ہے، تیز دراڑوں اور گرجدار دھماکے سے سیزمک انرجی سمندری پانی میں صوتی توانائی میں تبدیل ہو جاتی ہے۔
تقریباً 1,000 میٹر (3,300 فٹ) کی گہرائی میں، دباؤ، درجہ حرارت اور نمکیات مل کر پانی میں آواز کی نقل و حرکت کو کم کر دیتے ہیں اور اس کی ترسیل کو آسان بناتے ہیں۔ اس زون کو ساؤنڈ فکسنگ اینڈ رینجنگ (سوفار) چینل کے نام سے جانا جاتا ہے (وہیل پانی کے اندر ایک دوسرے سے بات چیت کرنے کے لیے اسی صوتی چینل کا استعمال کرتی ہیں)۔
ہائیڈروفونز یا پانی کے اندر مائیکرو فون، سوفر چینل کے ساتھ زلزلے سے پیدا ہونے والی آواز کی لہروں سے صوتی سگنل کا پتہ لگا سکتے ہیں۔
یہ صوتی اعداد و شمار لاوے کے بہاؤ کی جانب اشارہ کرتا ہے، جو آنے والے یا جاری اور فعال پھٹنے کی ممکنہ وارننگ ہے۔
محققین آتش فشاں والے جزیروں کے گرنے کو ان کی ارضیاتی تاریخ کے حصے کے طور پر سمجھتے ہیں جبکہ بعض یہ توقع کرتے ہیں کہ کنارے دور ہو کر انھیں سمندر میں گر جانے کا موقع دیتے ہیں جس کے نتیجے میں لینڈ سلائیڈنگ، زلزلے اور بڑے سونامی آتے ہیں۔
سکارٹن کہتے ہیں کہ 'اگرچہ ہماری ریکارڈ شدہ تاریخ میں ایسا کوئی بڑا واقعہ رونما نہیں ہوا ہے، لیکن اس کے نتائج تباہ کن ہو سکتے ہیں۔' اس دوران ماہرین ارضیات اور آتش فشاں کے ماہرین دستیاب 'کرائم سین' کے ساتھ پانی کے اندر جاسوسی کا کام کرنے لگتے ہیں۔
امریکہ کے شمال مغربی بحر الکاہل کے ساحل ایکسل سی ماؤنٹ کو ہی لے لیں جو کہ ابھی تک کے علم کے مطابق سب سے فعال زیر آب آتش فشاں ہے۔ یہ سنہ 1998، 2011 اور 2015 میں پھٹا ہے اور یہ دنیا کا سب سے زیادہ سروے شدہ زیر آب آتش فشاں بھی ہے۔ نیچے کے دباؤ کے ریکارڈرز سے پتہ چلتا ہے کہ ایکسل آہستہ آہستہ ہموار ہو رہا ہے، جبکہ دور سے چلائی جانے والی گاڑیوں نے نئے لاوے کے بہاؤ کو دریافت کیا ہے، جو یہ بتاتا ہے کہ مستقبل قریب میں یہ پھر سے پھٹ سکتا ہے۔

،تصویر کا ذریعہGetty Images
امریکہ میں آتش فشاں کی تباہی کے متعلق پروگرام موجود ہے جس میں ماہرین ارضیات، آتش فشاں اور اس سے ہونے والے تباہ کن اثرات کا اندازہ لگانے والے ماہرین، مانیٹرنگ اور ایمرجنسی رسپانس کے لیے ماہرین موجود ہوتے ہیں۔
بہت سی حکومتوں کے پاس ایسی ہی ٹیمیں موجود ہیں۔ آتش فشاں کا پتہ لگانے کے خواہش مند یو ایس جی کی آتش فشاں سے متعلق گائیڈ سے مدد لے سکتے ہیں اس کے ساتھ آتش فشاں فلموں میں بہت زیادہ پوچھے جانے والے سوالات ( یہ سامنے آیا ہے کہ سائنس دان اصل زندگی میں تو ابلتے ہوئے لاوے کے ساتھ نہیں چل سکتے) مگر پانی کے اندر آتش فشاں سے پیدا ہونے والے سونامی کے بارے میں اب بھی لکھا جا رہا ہے۔
میکے کہتے ہیں کہ ہنگا ٹونگا کے پھٹنے کا انداز مختلف تھا اور اسی نے ہمیں کنفیوز کیا، اس آتش فشاں کا انداز وہ نہیں تھا جو کتابیں ہمیں بتاتی ہیں کہ اسے کیسا ہونا چاہیے۔
ٹنگا میں سپر آتش فشاں سے زیادہ تباہی ہوئی مگر ادھر ادھر بکھرنے کی بجائے وہ اپنی جگہ پر برقرار رہا، اس چیز نے ماہرین کو اس بات پر مجبور کیا کہ وہ اپنے نظریات کا پھر سے جائزہ لیں کہ کس میکنزم نے اتنی تباہی کی ہو گی۔
اس میں اب بھی زیادہ ابہام اس حقیقت کے بارے میں ہے کہ ہنگا ٹونگا سے جو توانائی خارج ہوئی وہ سمندر کے فرش پر پھیلنے کے بجائے زیادہ تر عمودی ہے۔ میکے کہتے ہیں کہ آسمان کی سمت میں وہ دھماکہ غیر معمولی تھا۔
ہنگا ٹونگا کے بڑے دھماکے نہ صرف سمندر پر لہریں پیدا کرتے ہیں بلکہ یہ صوتی لہریں اور ماحول میں بھی لہریں پیدا کرتے ہیں۔ یہ لہریں ایک مخصوص وقفے کے ساتھ اپنے مرکز سے باہر کی جانب نکلتی ہیں۔ یہ 100 کلومیٹر سے زیادہ کی رفتار سے فضا میں جاتی ہیں یہ رفتار ایک جیٹ طیارے کی رفتار سے تقریباً دو گنا زیادہ ہوتی ہے۔
ولیمز کا کہنا ہے کہ اس سے بھی زیادہ غیر معمولی یہ ہے کہ لہریں روایتی انداز میں ختم نہیں ہوتیں۔
`لگتا ہے کہ ان کے پاس زیادہ توانائی ہوتی ہے اور وہ ایک ایسی لہر بناتے ہیں جو بہتر طور پر ریکارڈ ہوئی تھی، اتنے دور جتنی انٹارکٹکا میں روز آئس شیلف تک۔‘
ماہرین اب بھی کوشش کر رہے ہیں کہ اس قسم کے واقعات کے سلسلوں کا ریکارڈ اکھٹا کریں۔
ہنگا ٹونگا کے دھماکے سے اندازاً 10 ملین ٹنز ٹی این ٹی توانائی خارج ہوئی تھی۔ راکھ اور سمندر کے بپھرے ہوئے پانی نے عملی طور پر جزیرے کو تباہ کر دیا تھا۔
اس سے نہ صرف مقامی انفراسٹرکچر تناہ ہوا بلکہ پانی کی سپلائی لائنز آلودہ ہوئیں اور سڑکیں ٹوٹ پھوٹ گئیں۔ اس کا دنیا بھر میں اثر ہوا۔ زمین کے اندر لاتعداد لاوے ہیں جن میں سے کوئی بھی کسی بھی وقت بغیر اطلاع کے نکل کر آ سکتا ہے۔
ہنگا ٹونگا کا مطالعہ کر کے ہم یہ مزید جان سکتے ہیں کہ جب پانی کے اندر موجود ان دیگر ٹائم بموں کی بات کی جائے تو کیا حفاظتی اقدامات کیے جائیں۔۔

























