今年全球最强台风海燕横扫菲律宾

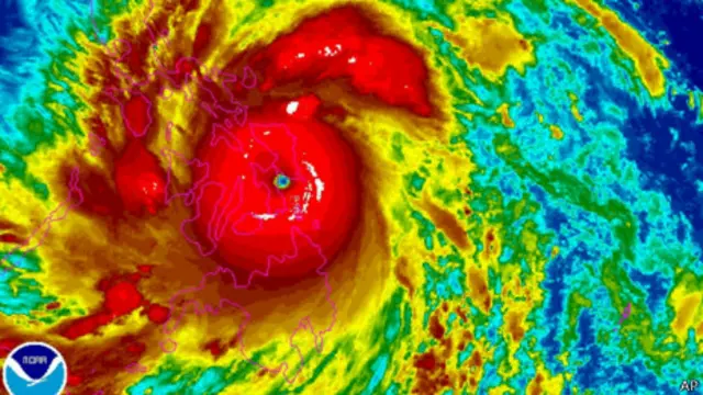
被称为今年全球最强热带气旋,最高持续风速达每小时314公里的的超强台风海燕在菲律宾中部登陆。
菲律宾气象部门表示,海燕星期五(11月8日)凌晨在中部东萨马省吉万市登陆,阵风时速仍达235公里,相当于最高级别的五级飓风。
海燕为菲律宾带来强降雨和15米高巨浪,引发严重水灾和山体滑坡。当局疏散台风路径上成千上万居民,学校与企业纷纷关门。
这次遭受台风正面吹袭的地区前不久才遭受里氏7.3级地震破坏,目前仍在恢复当中。
地震在保和岛造成超过200人死亡,目前仍有5000名灾民在帐篷中栖身。
菲律宾总统阿基诺警告民众远离风暴地区,并保证军方直升机、运输机和海军船艇已在待命。他呼吁民众团结一致,抵抗风灾。
气象专家们警告说,海燕可能成为继2012年台风宝霞以来对菲律宾造成最严重破坏的台风。
台风宝霞在菲律宾南部造成至少1000人死亡,经济损失10亿美元。
(编译/责编:叶靖斯)
网友如有评论,请用下表:








