
Army recruits and the Philippines storm
Jeremy discusses whether the minimum army recruitment age should be raised to 18, the Philippines storm, accidents involving glass doors and Terry Walton live on the allotment.
Last on
More episodes
![]()
On Jeremy Vine
Army recruits, the Philippines storm, glass door accidents and Terry's on the allotment
![]()
Get in touch with the show
Phone, text or email us your views
![]()
Army Recruits
Youngsters shouldn’t be allowed to join the army until they’re eighteen, say churches.
![]()
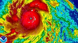
Philippines
A monster typhoon is sweeping across the Philippines, with winds of 200 miles an hour.
![]()
Glass Doors
A woman suffered cuts all over her body after walking into a Barbados hotel's glass door
![]()
Allotment
We catch up with Terry Walton on the Jeremy Vine Show allotment.
Music Played
![]()
10cc
Wall Street Shuffle
- Million Sellers Vol.13 - The Seventie.
- Disky.
![]()
America
The Border
- Encore! More Greatest Hits.
- Rhino.
![]()
Blondie
(I'm Always Touched By Your) Presence, Dear
- Atomic: The Very Best Of Blondie.
- EMI.
![]()
Blondie
(I'm Always Touched By Your) Presence, Dear
- Atomic: The Very Best Of Blondie.
- EMI.
![]()
Coldplay
Atlas
- (CD Single).
- Island.
![]()
The Four Seasons
December, 1963 (Oh, What A Night)
- The Very Best Of.
- Polygram Tv.
- 11.
![]()
James Blunt
Stay The Night
- Some Kind Of Trouble.
- Atlantic.
- 1.
![]()
Billy Joel
Piano Man
- The Very Best Of.
- Columbia.
![]()
Nik Kershaw
I Won't Let The Sun Go Down On Me
- Fantastic 80's - 3 (Various Artists).
- Sony Tv/Columbia.
- 4.
![]()
Paul McCartney
Jet (Live At Maida Vale)
![]()
Rudimental
Free (feat. Emeli Sandé)
- Home.
- Warner Bros.
- 12.
![]()
Texas
Dry Your Eyes
- The Conversation.
- Pias Recordings.
- 001.
![]()
Texas
Dry Your Eyes
- The Conversation.
- Pias Recordings.
- 001.
![]()
The Who
Won't Get Fooled Again
- The Who Hits 50! (Deluxe Edition).
- Polydor.
- 021.
![]()
XTC
Senses Working Overtime
- Power Pop Anthems (Various Artists).
- Virgin.
- 3.
Broadcast
- Fri 8 Nov 201312:00BBC Radio 2





