Como Patricia se transformou em furacão 'nuclear' em questão de horas

Crédito, AFP
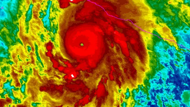
Em uma transformação classificada de "histórica", o furacão Patricia passou, em algumas horas, de tempestade tropical a um monstruoso furacão de categoria 5 – a máxima na escala Saffir-Simpson –, cuja intensidade já está sendo comparada a uma "detonação nuclear".
"É uma proeza extraordinária. Na era dos satélites, só o (furacão) Linda, em 1997, se intensificou neste ritmo", disse o Centro Nacional de Furacões nos Estados Unidos (NHC, na sigla em inglês).
De acordo com o NHC, o furacão que se dirige à costa do Pacífico no México com ventos de até 325 km/h é o mais forte já registrado no Pacífico e no Atlântico. O Centro afirmou que a intensidade do furacão pode ser equiparável à de uma bomba atômica.
"Isso é muito, muito, muito forte", disse a Organização Meteorológica Mundial (OMM).
<link type="page"><caption> Leia mais: Furacão Patricia ameaça México com 'consequências potencialmente catastróficas'</caption><url href="http://www.bbc.com/portuguese/noticias/2015/10/151023_furacao_patricia_mexico_rm.shtml" platform="highweb"/></link>
O evento também está sendo comparado ao tufão Haiyan, outro de categoria 5, que devastou parte das Filipinas em 2013, matando mais de 6 mil pessoas.
Patricia se desloca para a costa mexicana a uma velocidade de cerca de 17 km/h e se espera que chegue ao solo na tarde ou na noite desta sexta-feira, com ventos e chuvas potencialmente destrutivos.
O sistema deve chegar ao Estado mexicano de Jalisco, em uma zona que inclui o centro turístico de Puerto Vallarta. Além deste, os Estados de Colima e Nayarit também já declararam estado de emergência.
<link type="page"><caption> Leia também: Desintegração de planeta perto de estrela morta sugere como será fim da Terra</caption><url href="http://www.bbc.com/portuguese/noticias/2015/10/151023_destruicao_sistema_solar_lab.shtml" platform="highweb"/></link>
Evolução

Crédito, EPA
A rápida evolução de Patricia surpreendeu especialistas. Nas primeiras horas da quinta-feira, a Unidade de Proteção Civil do Estado de Guerrero, na costa do Pacífico, identificou Patricia como uma tempestade tropical.
Duas horas mais tarde, o sistema evoluiu para furacão de categoria 1 na escala Saffir-Simpson e foi localizado a cerca de 400 km da costa central, entre os Estados de Guerrero e Michoacán.
Ao meio-dia, hora local, o Serviço Meteorológico Nacional do México informou que a tempestade havia subido para categoria 4 e se deslocava a 28 km/h, "muito maior do que os ciclones com estas mesmas características", afirmou.
O órgão projetou que, nas duas horas seguintes, Patricia chegaria à categoria 5. A projeção se cumpriu quando o furacão estava a 360 km da costa dos Estados de Colima e Jalisco.
Meteorologistas usam a escala Saffir-Simpson para categorizar furacões de acordo com sua velocidade constante de vento – eles medem os vendavais duradouros ao invés das rajadas mais bruscas, que podem ser ainda mais fortes.
Segundo este sistema, um furacão de categoria 1 tem ventos de 119 a 153 km/h e um de categoria 5, acima de 252 km/h.
"O ritmo de intensificação da tempestade em um dia é nada menos que histórico. No processo, Patricia passou de um conglomerado de tempestades elétricas pouco organizadas a um dos sistemas mais fortes e perversos do planeta", disse o NHC.
<link type="page"><caption> Leia também: Mulher que perdeu marido com Parkinson desenvolve capacidade de ‘cheirar’ a doença</caption><url href="http://www.bbc.com/portuguese/noticias/2015/10/151022_parkinson_cheiro_lab.shtml" platform="highweb"/></link>
'Olho dentro do olho'

Crédito, AP
O Centro diz ainda que o furacão pode ficar ainda mais forte nesta sexta-feira antes de chegar ao solo, "porque imagens recentes mostram indícios de que está se desenvolvendo uma parede concêntrica do olho", ou seja, "um olho dentro do olho do furacão (região do centro da tempestade, onde as condições são mais amenas)".
Este é o chamado "ciclo de substituição da parede do olho" do furacão, um evento que ocorre nos ciclones mais intensos, das categorias 4 e 5, e pode fazê-los ficar ainda mais fortes.
Segundo a OMM, os ventos já estão tão fortes que poderiam levantar um avião e mantê-lo voando. Autoridades já alertam para a destruição de casas e carros sendo jogados para o ar. Além do vento, espera-se tempestades costeiras, chuva forte e risco de desabamentos e enchentes.
Cerca de 400 mil pessoas vivem em áreas vulneráveis, de acordo com o Fundo Nacional de Desastres do México.
O presidente Enrique Peña Nieto, no entanto, disse que o governo esteve "envolvido e muito atento" ao desenvolvimento do furacão, e já disponibilizou abrigos para milhares de pessoas. Escolas e lojas foram fechadas e a evacuação de outros locais já está em curso.
Também existe a possibilidade de que o furacão se enfraqueça antes de tocar o solo, porque pode enfrentar uma mudança de velocidade do vento e absorver ar seco do continente, de acordo com o NHC. E, uma vez em solo, pode perder força rapidamente por causa do terreno montanhoso que encontrará no México.
<link type="page"><caption> Leia também: Polícia descobre 'túnel do tráfico' de quase 1 km entre México e EUA</caption><url href="http://www.bbc.com/portuguese/noticias/2015/10/151023_tunel_trafico_tg.shtml" platform="highweb"/></link>
El Niño

Crédito, AP
Esta temporada de furacões no Pacífico é a mais ativa já registrada, com 15 registrados até o momento, mas especialistas pedem cautela ao associar este evento ao fenômeno El Niño.
Neste momento, o Oceano Pacífico está passando pelo por uma das ocorrências mais fortes do El Niño desde 1950. O evento se caracteriza por um aquecimento das águas e provoca estragos na região devido às fortes chuvas.
Em setembro do ano passado, a Organização Meteorológica Mundial advertiu que o El Niño se intensificaria a partir de outubro deste ano. A OMM projetava que as temperaturas do Pacífico aumentariam 2ºC além do normal, e especialistas acreditam que estas condições provocaram um aumento nos sistemas de tempestades do Pacífico.
O aquecimento global também poderia ter um papel na intensidade que as tempestades estão adquirindo. As temperaturas oceânicas do hemisfério norte alcançaram as temperaturas mais altas de que se têm registro, de 1,4ºC acima da média.
Em agosto passado, quando começou o El Niño, se produziram três furacões simultâneos no Pacífico, os três de categoria 3.

Furacões, tufões e ciclones descrevem o mesmo fenômeno climático, mas recebem nomes diferentes a depender do lugar do mundo onde se formam.
Os furacões, como Patricia, se formam à leste da Linha Internacional de Data. Tufões e ciclones e formam ao oeste da mesma.












