Australia: Siklon Ita hantam Queensland

Sumber gambar, Reuters
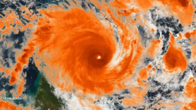
Warga di utara Queensland mulai membersihkan lingkungan rumah mereka setelah Siklon Ita yang membawa angin berkecepatan 230 km/jam menghantam kawasan itu.
Sejumlah wilayah gelap gulita karena aliran listrik terputus dan banyak bangunan yang dilanda kerusakan, tapi tidak ada korban jiwa yang dilaporkan.
Siklon itu mendarat di Cape Flattery tapi melemah tidak lama kemudian, kata Biro Meteorologi Australia (BOM).
Badai ini adalah yang terbesar yang pernah melanda Queensland sejak Siklon Yasi pada 2011.
Ita awalnya diklasifikasikan sebagai badai kategori lima namun kemudian diturunkan oleh BOM menjadi kategori satu.
Puluhan ribu orang berlindung sepanjang malam menyusul peringatan-peringatan ancaman hujan es, banjir bandang dan badai pasang.
Pejabat setempat mengatakan banyak kabel listrik dan telepon yang rusak parah oleh siklon.
"Saya sangat lega karena hingga saat ini tidak ada laporan mengenai korban jiwa atau korban luka," kata pejabat Queensland Campbell Newman seperti dikutip oleh Reuters.









