Lingkungan di Sulawesi Tenggara terancam limbah tambang nikel - ‘Yang kamu rusak adalah masa depannya’

Sumber gambar, Haryo Wirawan/BBC
- Penulis, Valdya Baraputri
- Peranan, BBC News Indonesia
Di Pulau Labengki, Sulawesi Tenggara, anak-anak Bajau bermain di laut setiap pagi dan sore. Mereka melompat dari dermaga ke air yang jernih dan menyelam ke dasar laut yang berpasir putih.
Namun entah sampai kapan kegembiraan mereka akan bertahan. Sebab pemandangan bawah laut Pulau Labengki kini tidak selalu jernih; ada kalanya keruh akibat limbah dari tambang nikel.
“Iya saya sudah melihat [pencemaran] itu,” kata Tawing, orang Bajau di Desa Labengki yang berprofesi sebagai nelayan sekaligus operator alat selam.
Meski kawasan pulau yang dihuni oleh orang-orang Bajau ini bebas dari aktivitas tambang, Pulau Labengki lokasinya berseberangan dengan kawasan pertambangan nikel Kabupaten Konawe Utara. Di kabupaten tersebut terdapat sekitar 50 perusahaan tambang nikel yang beroperasi.
Ada kekhawatiran limbah tambang nikel akhirnya akan seluruhnya memasuki perairan dan selamanya mencemari Pulau Labengki.
“Karena pencemaran nikel saat musim hujan bisa masuk ke daerah wisata ke Labengki sini. Terbawa arus dia,” kata Tawing yang kami temui di rumahnya yang juga ia jadikan sebagai homestay bagi turis.
Akhir dari Artikel-artikel yang direkomendasikan
Indonesia adalah negara dengan cadangan nikel terbesar di dunia.
Badan Energi Internasional memprediksi peningkatan produksi nikel dunia mencapai sedikitnya 65% pada 2030, didorong oleh kebutuhan material baterai kendaraan listrik.
Indonesia diperkirakan bakal memenuhi dua-pertiga kebutuhan dunia. Sejauh ini, Indonesia sudah menandatangani sejumlah kontrak bernilai miliaran dolar AS dengan perusahaan-perusahaan asing yang berniat berinvestasi pada tambang nikel serta tempat pengolahannya.
Akan tetapi, pengamat menilai masalah lingkungan di kawasan tambang, baik nikel maupun lainnya, masih menjadi pekerjaan rumah di dalam negeri.
“Kita belum punya rekam jejak penambangan berkelanjutan,” kata Novita Indri, juru kampanye Trend Asia. “Ditambah lagi aspek penegakan hukum kita lemah terkait dengan lingkungan.”
Pemerintah Indonesia bukannya tidak tahu soal itu. Kementerian Energi dan Sumber Daya Mineral (ESDM) mengakui bahwa pencemaran lingkungan akibat tambang telah menjadi perhatian pemerintah.

Sumber gambar, Haryo Wirawan/BBC
“Tidak hanya di Konawe Utara, concern pemerintah itu di semua daerah penambangan di Indonesia,” kata Prof. Irwandy Arif, staf khusus menteri ESDM bidang percepatan tata kelola mineral dan batubara.
Namun ia menilai, tambang nikel ilegal yang jadi biang keladinya. Ia yakin perusahaan nikel resmi tidak akan mengambil risiko kehilangan izin akibat lalai mengikuti aturan.
“Di Konawe Utara ada dua penambang ilegal yang sudah diproses di pengadilan. Kontrol terhadap [tambang] ilegal yang harus ditegakkan,” kata Prof. Irwandy.
Labengki bebas tambang nikel, tidak bebas dari limbahnya
BBC News Indonesia mengunjungi Konawe Utara dan melihat kehidupan orang Bajau di dua tempat berbeda, di Pulau Labengki dan di seberang pulau - yang berdekatan dengan area tambang.
Saat perahu merapat di Pulau Labengki, hamparan pasir putih menyambut kami.
Ada bintang laut berwarna krem dengan tutul cokelat, terlihat jelas di dasar air yang dangkal. Anak-anak Bajau bermain dengan bintang laut itu.
Mereka menyelam sedalam tiga meter, mengambil bintang laut, memperlihatkannya pada teman-teman sepermainan di permukaan, lalu menyelam lagi ke bawah dan menaruh bintang laut di tempat semula.

Sumber gambar, Valdya Baraputri/BBC
Orang Bajau terkenal sebagai penyelam ulung. Mereka bisa menyelam di laut tanpa alat bantu pernapasan. Anak-anak Bajau pun sudah akrab dengan laut sejak kecil.
Tawing adalah bapak dari salah satu anak yang asyik main di laut di depan rumah mereka.
Beberapa bulan lalu, Tawing baru saja mendapatkan bantuan dari Bank Indonesia berupa enam set peralatan selam skuba.
“Kemarin pertama kali dicoba oleh Kaka ‘Slank’,” kata Tawing semringah.
Kami menemui Tawing di rumahnya yang ia jadikan sebagai homestay untuk turis.

Sumber gambar, Haryo Wirawan/BBC
Tawing menamai tempat penyewaan alat diving-nya ‘Kimaboe’ - diambil dari nama sebuah spesies Kima atau kerang raksasa yang bisa ditemukan di perairan Labengki.
Ia sendiri sudah memiliki sertifikasi selam skuba sehingga ia bisa memandu turis menikmati keindahan bawah laut Pulau Labengki.

Sumber gambar, Haryo Wirawan/BBC
Namun harapan Tawing memutar roda ekonomi untuk keluarganya terancam masalah.
“Tahun lalu, saya bawa tamu untuk menyelam di Labengki saat [laut tercemar] limbah tambang, visibility [tingkat pandangan di dalam] air itu benar-benar buruk,” kata Tawing, menambahkan betapa susahnya mencari tempat yang jernih untuk diselami.
Saat musim hujan tiba, dia berkata, limbah dari area pertambangan nikel terbawa arus ke perairan Pulau Labengki. Jika air sedang keruh, Tawing terpaksa urung membawa turis menyelam.
Akibatnya, tidak hanya penghasilannya yang hilang tapi juga pemasukan untuk warga Labengki lain. Alat selam yang dipakainya adalah milik Kelompok Sadar Wisata (Pokdarwis).
“Sewa alat selam kita Rp500.000. Uang itu dibagi untuk saya, guide, operator pengisian tabung, [kas] dive center, dan Pokdarwis,” jelasnya.

Sumber gambar, Valdya Baraputri/BBC
Tapi bahkan saat air sedang jernih, Tawing tetap diliputi kegelisahan limbah tambang akan merusak lautnya.
“Saya harap teman-teman bantu masyarakat di sini buat informasikan ini pada pemerintah. Karena kalau kita biarkan, dampaknya pasti akan datang ke sini,” kata Tawing.
Hidup berdampingan dengan tambang nikel
Di Desa Boenaga, yang terpisah jarak sekitar satu jam berkendara dengan kapal, kondisinya begitu berbeda dari Pulau Labenki.
Pemandangan bukit-bukit hijau Pulau Labengki menghilang sepanjang perjalanan, digantikan bukit-bukit tanah kecokelatan.
Di dermaga, dasar laut tidak terlihat karena air begitu keruh. Bahkan di sebagian tempat di desa, air berwarna cokelat kemerahan.
Tidak ada anak-anak yang berlompatan dan bermain di laut.
Seorang nelayan Bajau bernama Lukman menuturkan bahwa sebelum ada kegiatan tambang nikel di desanya, ia biasa memancing ikan di dekat rumah.

Sumber gambar, Haryo Wirawan/BBC
“Iya, biasa di depan sini,” kata Lukman sambil menunjuk ke air cokelat. “Tapi bagaimana kalau begitu, coba dilihat. Beda toh dengan Labengki?”
Sulawesi Tenggara memiliki Izin Usaha Pertambangan nikel terbanyak di Indonesia. Berdasarkan data dari Badan Pusat Statistik tahun 2022, terdapat sedikitnya 50 perusahaan tambang nikel di Kabupaten Konawe Utara.
Pemukiman Lukman letaknya bersebelahan dengan salah satu tambang nikel.

“Kalau nelayan sih susah sekali sekarang [hidupnya],” kata Lukman yang kami temui di rumahnya.
“Kalau orang mau kerja di tambang, ya bagus. Gaji sudah memuaskan. Kalau seperti saya kan nelayan tok, memang susah.”

Sumber gambar, Haryo Wirawan/BBC
Sukayah, istri Lukman, berkata kini nelayan harus menempuh jarak yang jauh untuk menangkap ikan agar bisa bebas dari perairan tercemar.
Dengan begitu, menurut Lukman, biaya solar bisa jadi lebih besar dari keuntungan yang didapat.
Lukman mengaku merasa tidak berdaya. Tapi untuk melakukan protes menolak tambang, apalagi sampai berurusan dengan penegak hukum, dia tak kuasa.
“Jadi masyarakat diam saja, terima saja.”

Sumber gambar, Haryo Wirawan/BBC
Namun, tidak semua warga Desa Boenaga merasa dirugikan dengan kehadiran tambang.
“Dampak buruk itu jelas pasti ada. Tapi ada juga dampak yang baik,” kata Jufri Asri, kepala dusun di Desa Boenaga yang bermukim tidak jauh dari Lukman.
Harga ikan, kata Jufri, lebih tinggi di Boenaga ketimbang di Kendari.
“Mungkin karena banyak perusahaan, banyak yang membutuhkan ikan,” terang Jufri.

Sumber gambar, Haryo Wirawan/BBC
Liputan mendalam BBC News Indonesia langsung di WhatsApp Anda.
Klik di sini
Akhir dari Whatsapp
Anak tertua Jufri bekerja di salah satu tambang nikel. Ini diakui Jufri membantu perekonomian keluarga.
Selain itu keluarga Jufri, seperti kepala keluarga lain di Desa Boenaga, mendapatkan biaya kompensasi per bulan dari tambang dengan besar antara Rp1 juta sampai Rp1,5 juta.
Kompenasi ini, sebut dia, lumrah disebut sebagai 'uang debu'.
“Perjanjian dengan perusahaan itu per bulan, misalkan dalam satu bulan produksinya sedikit, otomatis pemberiannya juga sedikit,” kata Jufri.
Sesuai namanya, menurut Novita Indri, Juru Kampanye Trend Asia, sebuah organisasi yang mengampanyekan pembangunan berkelanjutan, “uang debu” adalah ganti rugi atas kegiatan hilir mudik kendaraan tambang yang membuat rumah-rumah warga yang dilalui berdebu.
“Asumsi kami dasar aturannya mengacu kepada UU Minerba yang terbaru tepatnya pasal 145,” kata Novita.
Namun di berbagai area pertambangan, kesepakatan untuk kompensasi dari perusahaan tambang kepada warga lokal bisa berbeda-beda, seperti distribusi air bersih atau bentuk CSR (Corporate Social Responsibility).
Banjir di darat, rusak di laut
Untuk bisa menambang nikel, perusahaan-perusahaan tambang harus membersihkan suatu kawasan besar dengan menebang semua pohon di sana. Selanjutnya lubang besar akan digali atau yang biasa disebut open pit.
Karena tiada lagi akar-akar pohon di kawasan itu, tanah menjadi tidak stabil dan mudah longsor manakala hujan deras melanda.
Data pemerintah menunjukkan terjadi setidaknya 21 banjir dan longsor di Sulawesi Tenggara sepanjang 2022. Padahal, antara 2005 dan 2008, sebelum izin sejumlah tambang diberikan, hanya terjadi dua hingga tiga insiden serupa per tahun, menurut Badan Nasional Penanggulangan Bencana (BNPB).
Pada Juli tahun lalu, misalnya, banjir lumpur menerjang sebuah sekolah di Desa Boenaga.
Seorang pegiat lingkungan yang khawatir akan laju kerusakan akibat aktivitas tambang menemukan bahwa sedimentasi lumpur nikel mengalir ke laut dan mengubur terumbu karang.
“Siapa mau tanggung ini kerusakan terumbu karang sekian hektare, sekian mil?” kata pegiat lingkungan Habib Nadjar Buduha dari Tim Konservasi Kima Toli-Toli yang kami temui di rumah yang menjadi pusat kegiatan konservasinya.

Sumber gambar, Haryo Wirawan/BBC
Di Sulawesi Tenggara, Habib dikenal sebagai pegiat lingkungan yang telah aktif sejak 2009 dalam upaya konservasi Kima atau kerang raksasa yang dilindungi di perairan Sulawesi.
Ia mengambil sampel kerusakan terumbu karang akibat sedimentasi tambang di sebuah titik di Pulau Bahubulu, Konawe Utara, lima kilometer dari garis terluar.
Menurutnya sampel gambar yang ia ambil mencerminkan kondisi bawah laut Konawe Utara di sekitar kawasan tambang.
“Kasihan ekosistem, kasihan nelayan,” kata Habib.
“Kebetulan di sana [Konawe Utara], ada dua daerah tujuan wisata yang sudah mendunia, sudah menjadi andalan di Indonesia. Itu akan punah kalau terumbu karang punah.”
Bagi Habib, nilai kompensasi perusahaan tambang tidak sebanding dengan kerusakan lingkungan yang bisa jadi tidak dapat dipulihkan.
“Tidak cukup dengan, ‘Oh kami sudah beri mereka uang debu, uang kompensasi’. Berapa uang kompensasi? Tetapi sekarang yang kamu rusak masa depannya,” kata Habib.

Sumber gambar, Konservasi Kima Toli-Toli
Perusahaan-perusahaan tambang nikel dekat Boenaga tidak ada yang merespons permintaan kami untuk wawancara. Namun, BBC News Indonesia berbicara dengan Sekjen Asosiasi Penambang Nikel Indonesia (APNI), Meidy Katrin.
Sekitar setengah dari perusahaan-perusahaan tambang nikel di Kabupaten Konawe Utara adalah anggota APNI.
Menurut Meidy, untuk dapat melakukan kegiatan produksi, perusahaan tambang harus terlebih dahulu memiliki dokumen RKAB - Rencana Kerja dan Anggaran Biaya - yang disetujui oleh Kementerian ESDM. Salah satu syarat RKAB adalah, perusahaan sepakat menjalankan penanaman hutan kembali atau mereklamasi tanah begitu perusahaan itu selesai menambang suatu kawasan.
“Pertanyaannya, apakah perusahaan-perusahaan itu menjalankannya?” ujarnya, sembari mengakui bahwa “banyak wilayah Konawe Utara yang botak” tanpa ditanami kembali atau direklamasi.
Salah satu alasannya, ujar Meidy, di area ini ada banyak kegiatan penambangan ilegal. Namun dia juga mengatakan tidak bisa menjamin seluruh perusahaan tambang terdaftar telah melakukan kewajiban-kewajibannya.
“Kembali lagi pada saat mengajukan kelengkapan perizinan kepada pemerintah, bagaimana pengawasannya. Apakah dokumen laporannya sesuai dengan fakta di lapangan?”
Meidy juga mengimbau antar-lembaga pemerintah untuk saling bersinergi dalam memberikan perizinan dan melakukan pengawasan agar perusahaan-perusahaan tambang terdaftar mematuhi aturan, “dan pemerintah memberantas tambang-tambang ilegal”.
Mengapa tambang nikel mencemari lingkungan?

Menurut staf khusus menteri ESDM bidang percepatan tata kelola mineral dan batubara, Professor Irwandy Arif, perusahaan-perusahaan tambang nikel seharusnya telah memiliki sistem dan teknologi mumpuni dalam pengolahan limbah untuk mencegah pencemaran.
“Mungkin kalau hujan, bagaimanapun tanah akan tererosi oleh air dan tidak bisa dikontrol,” kata Prof Irwandy.
“Tapi kalau perusahaan-perusahaan yang legal, sudah dihimbau untuk memiliki sistem penanganan air sebelum dibuang ke laut.”
Selain itu, menurutnya perencanaan dan kewajiban perusahaan-perusahaan tambang telah tercakup dalam dokumen AMDAL atau Analis Mengenai Dampak Lingkungan Hidup perusahaan.
Meski demikian, menurut Novita Indri selaku juru kampanye program Trend Asia, kenyataan di lapangan menunjukkan sebaliknya.

Sumber gambar, Haryo Wirawan/BBC
“Karena kebanyakan di Indonesia, sistem pertambangan kita masih sistem terbuka atau open pit. Di mana tanah permukaan akan dikeruk bagian atasnya hingga sampai di lapisan di mana mineral itu berada,” kata Novita.
“Ketika ada air cokelat di daerah pertambangan, kita bisa berasumsi ada indikasi pencemaran baik secara langsung maupun tidak langsung,” lanjutnya.
“Secara tidak langsung, dibawa oleh air hujan, atau secara langsung yang mungkin sedimentasi dari open pit tadi langsung dialirkan ke sungai.”
“Karena Indonesia masih punya track record pertambangan yang masih belum baik. Standar lingkungan masih buruk,” kata Novita.
Menurutnya, kesuksesan Indonesia pada industri nikel bergantung pada pembenahan yang dapat dilakukan oleh pemerintah di lapangan.
Nasib Pulau Labengki

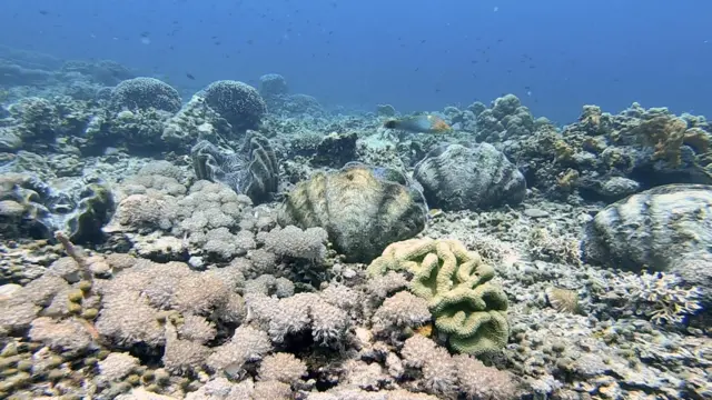
Tawing sang nelayan dan penyelam Bajau membawa kami ke salah satu titik selam di Labengki bernama 'Kimaboe.'
Setelah mengayuh kaki katak selama beberapa menit pada kedalaman sekitar tujuh sampai sepuluh meter, kami sampai ke sebuah lokasi kumpulan kerang raksasa.
Ada sekitar 19 kerang raksasa dengan ukuran beragam. Jenis tertentu kerang ini dapat tumbuh sepanjang lebih dari satu meter.
Salah satu kerang di titik penyelaman itu nampak lebih aktif membuka dan menutup cangkangnya ketika dilewati penyelam.

Sumber gambar, Valdya Baraputri/BBC
Menurut Habib Nadjar Buduha dari Konservasi Kima Toli-Toli, kerang raksasa yang disebut 'kima' oleh warga lokal memiliki peran penting di lautan yakni sebagai filter polutan.
Namun, dia berkata, kima tidak akan bisa menyaring limbah tambang nikel.
“Karena limbah nikel itu sedimen,” kata Habib. “Maka akan mengubur kima.”
Tawing sering membantu Habib dalam upayanya menyelamatkan kima dengan mengedukasi komunitas untuk tidak menjadikan kima sebagai santapan dan tidak menggunakan bom ikan.
Namun ancaman baru pencemaran limbah nikel terasa lebih besar dan di luar kendali Habib dan Tawing.
“Kami sudah memikirkan itu. Jangan sampai yang kita khawatirkan itu terjadi,” kata Tawing resah.
-
Catatan koreksi 24 Agustus 2023: Artikel ini telah diperbarui dari versi sebelumnya, di mana kami secara keliru menuliskan penggunaan sodium sianida dalam proses penambangan nikel.



































