Episode details

Available for over a year
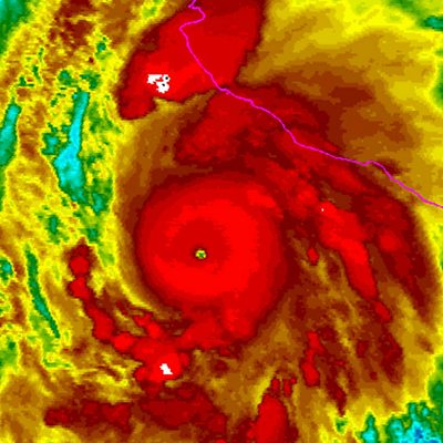
Patricia which is heading for Mexico's West Coast is set to become the strongest hurricane ever in the Western Hemisphere; South African students win fee concession from President Zuma after protests; snow leopards at risk as Himalayas melt. (Photo Credit: European Photopress Agency)
Programme Website