Камнеед, лисокот, жук Грета и карманная акула. 11 животных, открытых в 2019 году

- Автор, Николай Воронин
- Место работы, Корреспондент по вопросам науки
Ученые открывают новые виды животных и растений практически ежедневно. Чаще всего обнаруживают неизвестных насекомых (этот класс отличается наибольшим биоразнообразием), однако нередко ученым попадаются новые рыбы, рептилии, птицы и даже млекопитающие - особенно из отдаленных и плохо изученных уголков планеты.
Подобные открытия делаются не только в ходе экспедиций, но и за счет изучения музейных коллекций, древних окаменелостей, а иногда и в результате генетических тестов - когда родственные виды сложно отличить друг от друга.
В общей сложности науке известно около 2 миллионов видов живых организмов - животных, растений и грибов. Однако, по подсчетам ученых, еще больше разновидностей (около 6 млн) до сих пор не попадались биологам и только ждут своего открытия.
Русская служба Би-би-си выбрала несколько самых удивительных созданий, впервые обнаруженных или описанных в ушедшем 2019 году.
1. Карманная акула

Автор фото, Mark Doosey
Эта небольшая рыбешка - всего 14 см в длину - немного похожа на кашалота, но на самом деле это так называемая карманная акула. Ее выловили в Мексиканском заливе еще в 2010 году, но только девять лет спустя официально признали новым видом.
Карманной она называется вовсе не из-за своего размера, а из-за двух углублений (карманов), расположенных по обе стороны тела, возле грудных плавников.
2. Рогатая агама

Автор фото, Montri Surmontha (WWF)
На популярном у туристов таиландском острове Пхукет почти не осталось необжитых мест, однако и там иногда находят новые виды животных.
Недавно на дереве в местном лесу обнаружили живописную шипастую ящерицу из семейства агамовых, которую так и назвали - "пхукетская рогатая древесная агама".
3. Лисокот (он же - котолис)

Автор фото, AFP
Такие пушистые красавцы размером примерно 90 см водятся на Корсике. Местные жители давно называют этих диких кошек "котолисами" за массивный полосатый хвост с черным концом.
В ушедшем году ученым наконец-то удалось поймать несколько особей и изучить их ДНК - выяснилось, что это и правда неизвестный науке вид кошачьих. Правда, никакого отношения к лисам корсиканец не имеет: его ближайший родственник - дикий африканский степной кот, предок наших домашних кошек.
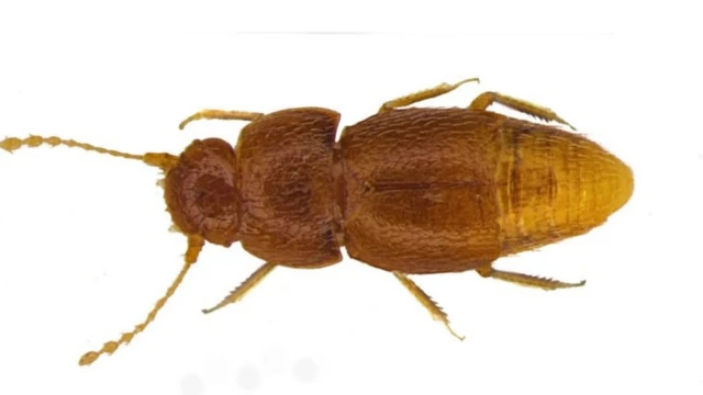
4. Гретожук

Автор фото, THE TRUSTEES OF THE NATURAL HISTORY MUSEUM
Этого крошечного жучка-вредителя (всего 1 мм в длину) привезли из Кении еще в конце 1960-х, но больше полувека он хранился в музее естественной истории в Лондоне неизученным. И только в ушедшем году сотрудник музея Майкл Дарви обнаружил, что насекомое принадлежит к ранее неизвестному виду.
Дарви решил назвать его Nelloptodes gretae - в честь шведской экоактивистки Греты Тунберг.
5. Рыба-Ктулху

Автор фото, Jonathan Armbruster
В реках Амазонии ученые обнаружили сразу шесть новых видов сомиков-анцистров, немного напоминающих морское чудовище Ктулху из произведений писателя Роберта Лавкрафта.
Как уточняют биологи, устрашающие щупальца растут только на голове у самцов и служат для привлечения самок.
6. Червь-камнеед

Автор фото, Reuben Shipway; Marvin Altamia
Этот странный моллюск относится к семейству корабельных червей, которые получили такое название за то, что поедают дерево - в особенности корабельный лес, "пробуривая" в нем глубокие дыры.
Однако этот только что открытый вид живет в пресных водоемах на Филиппинах - и, кажется, питается камнями. Как именно это происходит, ученые пока не понимают - возможно, живущие в его пищеварительном тракте бактерии способны расщеплять известняк и производить питательные вещества.
Местные жители кормят этим моллюском молодых матерей, так как считается, что он помогает им кормить грудью.
7. Очковый цветоед

Автор фото, SMITHSONIAN
Эта крошечная птаха живет на Борнео - единственном в мире острове, разделенном между тремя государствами: Индонезией, Малайзией и Брунеем.
Новый вид цветоедов питается преимущественно омелой и получил название "очковый" за счет характерных белых отметин над и под глазами.
8. Радужноголов

Автор фото, Alexandre Teynié
Это не дефект фотоснимка - голова этой змеи действительно покрыта радужными пятнами, за что журналисты уже прозвали ее Зигги Стардаст.
Ее нашли в карстовых скалах на севере Лаоса и поначалу решили, что радужный уж живет только там - однако с тех пор его обнаружили еще в одном месте, что повышает шансы этого вида на выживание.
9. Шерстистый нетопырь

Автор фото, Nguyen Truong Son
Новый вид летучих мышей, голова и плечи которых покрыты длинной густой шерстью, был обнаружен в районе Центрального плато во Вьетнаме.
Как уже упоминалось раньше, биологам нечасто попадаются неизвестные науке млекопитающие, однако летучие мыши - в некотором смысле исключение. Отряд рукокрылых чрезвычайно разнообразен и насчитывает более 1300 видов.
10. Тритон-клингон

Автор фото, Porrawee Pomchote
А этого живописного черно-красного тритона обнаружили в таиландской провинции Чианграй.
Журналисты тут же сравнили его с расой клингонов из фантастической вселенной киносаги "Звездный путь".
11. Кошачеглазый кардинал

Автор фото, Mark Erdmann
Семейство лучеперых рыб, известное как кардиналовые (апогоновые), также обогатилось в этом году новым видом.
Широкая темная полоса, вертикально проходящая через зрачок, придает глазам этой рыбы сходство с кошачьими.








