Main content

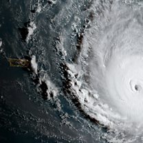
Hurricane Irma Batters Caribbean
Thousands of people have been evacuated from at-risk areas.
Hurricane Irma has destroyed buildings and caused major flooding on several islands in the Caribbean. Also, Aung San Suu Kyi denounces Rohingya 'misinformation' and a flight attendant wins a discrimination case against Aeroflot.
( Picture: Satellite image of Hurricane Irma. Credit: NOAA / Reuters.)
Last on
Wed 6 Sep 201718:06GMT
BBC World Service except News Internet
Broadcast
- Wed 6 Sep 201718:06GMTBBC World Service except News Internet