Huracán Patricia en México: cómo prepararse ante un potente huracán y qué hacer cuando toque tierra

Fuente de la imagen, AFP Getty
- Autor, Redacción
- Título del autor, BBC Mundo
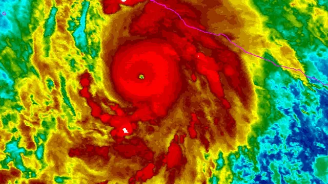
"Es probable que este huracán sea el más intenso que haya existido en la parte del Pacífico de nuestro país desde que se tiene registro", anunció este jueves el director de la Comisión Nacional del Agua de México, Roberto Ramírez de la Parra.
El huracán tocó tierra poco antes de las 18:00 hora local (23:00 GMT) con categoría 5, con vientos máximos sostenidos de hasta 325 kilómetros por hora.
<link type="page"><caption> Vea la trayectoria del huracán</caption><url href="http://www.bbc.com/mundo/noticias/2015/10/151023_mexico_huracan_patricia_trayectoria_ep" platform="highweb"/></link>
Y el Centro Nacional de Huracanes de Estados Unidos advirtió de sus consecuencias "potencialmente catastróficas".

Fuente de la imagen, AFP
Ante ello, la Secretaría de Gobernación mexicana declaró el estado de "emergencia extraordinaria" en 10 localidades de Colima, 12 de Nayarit y 34 de Jalisco, tres estados del Pacífico mexicano.
<link type="page"><caption> Lea: Huracán Patricia amenaza el Pacífico mexicano con "consecuencias potencialmente catastróficas"</caption><url href="http://www.bbc.com/mundo/noticias/2015/10/151023_mexico_huracan_patricia_jalisco_colima_az" platform="highweb"/></link>
El gobierno mexicano "ha activado todos sus protocolos de preparación y respuesta, a fin de reaccionar con oportunidad a las afectaciones que pudiera ocasionar el paso del huracán y las lluvias derivadas de dicho fenómeno", anunció la entidad.

Fuente de la imagen, EPA
Pero, ¿cuáles son esos protocolos?
¿Qué medidas tomaron ya?
Nada más hecha la alerta, ordenaron la evacuación de unas 50.000 personas en la zona costera que se prevé afectará.
Y las autoridades recomendaron a los turistas no acudir a centros turísticos como Puerto Vallarta, que puede ser golpeado directamente por la tormenta.
Además de la lluvia prevista, allí podría haber penetraciones del mar a raíz de posibles "grandes y destructivas olas".

Fuente de la imagen, AFP Getty

Fuente de la imagen, AP

Fuente de la imagen, AP
Por ello, cerraron todos los puertos de esa parte de la costa occidental de México.
Y la Coordinación Nacional de Protección Civil desplegó personal en el área.
El coordinador nacional de esa entidad, Luis Felipe Puente, informó que se empezó el desfogue de las presas Cajón de Peña, en Jalisco, y la Villita, en Michoacán, para minimizar inundaciones.
Y el director general de la Unidad Estatal de Protección Civil y Bomberos de Jalisco, Trinidad López Rivas, anunció el envío de maquinaria de la capital del estado, Guadalajara, a puntos estratégicos de la costa.
¿Cómo se puede estar informado?
Las autoridades recomiendan a la población mantenerse informada sobre el desarrollo del fenómeno y de las condiciones meteorológicas de su lugar de residencia.
Para eso sugieren escuchar la radio, ver la televisión y revisar los medios digitales.

Fuente de la imagen, AP
También se puede estar informado a través de la página web del Sistema Nacional de Protección Civil, donde se recogen las últimas alertas:
http://www.proteccioncivil.gob.mx/
Las páginas de los servicios de protección civil estatal ofrecen información más local:
- El de Colimaes http://proteccioncivil.col.gob.mx
- El de Guadalajara es http://proteccioncivil.jalisco.gob.mx
- En el caso de Nayarit se puede consultar su perfil de Facebook: https://www.facebook.com/proteccion.civilnayarit
Varias cuentas de Twitter también ofrecen esa información:
- En el estado de Guadalajara son @PCJalisco, @GobiernoJalisco, @PCSegob
- En Colima, es @PC_Colima
¿Qué hay que hacer antes?
Son muchos los países de la región que de tanto en tanto se ven amenazados por huracanes, tormentas tropicales y toda una suerte de fenómenos meteorológicos potencialmente desastrosos.
----

Huracanes, ciclones y tifones son todos expresiones del mismo fenómeno atmosférico, pero reciben diferentes nombres en dependencia del lugar de su formación.
Los huracanes, como Patricia, se forman al este de la línea Internacional de Tiempo. Ciclones y tifones se forman al oeste de la misma.
----
Por ello, las instituciones encargadas de la protección civil suelen indicar a la población cuáles son las pautas a seguir.
<link type="page"><caption> Lea también: Cómo el huracán Patricia se convirtió en una tormenta "monstruosa" en cuestión de horas</caption><url href="http://www.bbc.com/mundo/noticias/2015/10/151023_mexico_huracan_patricia_transformacion_men" platform="highweb"/></link>

Fuente de la imagen, AP
Los siguientes puntos son un resumen tanto de la Coordinación Nacional de Protección Civil de México, como la Administración Nacional Océanica y Atmosférica (NOAA, por sus siglas en inglés) de Estados Unidos, la Cruz Roja Internacional, la Comisión Nacional de Prevención de Riesgos y Atención de Emergencias de Costa Rica, el Sistema Nacional de Protección Civil de El Salvador y entidades similares.
- Elabora un plan que refleje todas las posibilidades
- Anota los números de emergencia y tenlos a mano
En Colima el teléfono de emergencia es: (312)313 03 11
En Nayarit: 01-133-30-81
En Jalisco: 01 315 355 6375 y 013 22 225 0764, así como 33 36 75 30 60, o 33 36 75 30 60 para la zona metropolitana de Guadalajara, la capital del estado.
- Almacena suministros para emergencias en casa y en el auto
Esto incluye comida que no necesite refrigeración, agua y un botiquín de primeros auxilios.

Fuente de la imagen, EPA
- Ten a mano dinero en efectivo y las tarjetas de crédito
- Limpia azoteas, canales y coladeras
- Averigua dónde está el refugio más cercano y cuáles son las distinas rutas para llegar a él en caso de que tengas que evacuar tu casa
¿Cómo hay que actuar cuando el huracán toque tierra?
La primera recomendación es conservar la calma.
Y también dan las siguientes pautas:
- Permanece dentro de casa
- Cierra puertas y ventanas, suministros de gas y electricidad
- Desenchufa los aparatos eléctricos
- Aléjate de ventanas para evitar lesiones si éstas se rompen
- Si el viento abre una puerta o ventana, no avances hacia ella de manera frontal
- Para alumbrar no uses velas, sino linternas o lámparas que funcionen con baterías
- <bold>Si vives cerca de un río, vigila el nivel del agua <image id="d5e751"/> </bold>
- Si estás en carretera, extrema las precauciones al conducir
- No cruces vados y ríos de respuesta rápida, y evita zonas en las que pudiera ocurrir deslaves y desprendimiento de rocas
- Aléjatede las vallas publicitarias, postes eléctricos y árboles ante su posible caída.
¿Y cuando haya pasado?
- Es importante mantenerse informado y seguir las instrucciones transmitidas por las autoridades a través de los medios de comunicación.
- <bold>Si hay heridos, repórtalo</bold> en el teléfono de emergencia <image id="d5e789"/>
- Usa el teléfono sólo para reportar emergencias
- Consume el agua potable que almacenaste y si no lo hiciste, hierve la del grifo
- Revisa cuidadosamente la casa y verifica que no haya peligro
- Si la casa no sufrió daños, permanece en ella
- Asegúrate que los aparatos eléctricos están secos antes de usarlos
- Elimina el agua estancada para evitar plagas de mosquitos








