Cómo el huracán Patricia se convirtió en una tormenta "monstruosa" en cuestión de horas

Fuente de la imagen, AFP
- Autor, Redacción
- Título del autor, BBC Mundo
Su transformación ha sido calificada de "histórica": en menos de 10 horas el huracán Patricia pasó de ser una tormenta tropical a un monstruoso huracán de categoría 5, la máxima categoría en la escala de Saffir-Simpson.
"Esto es una proeza extraordinaria" afirma el Centro Nacional de Huracanes (CNH) de Estados Unidos. "En la era de satélites, sólo Linda, en 1997, se intensificó a este ritmo", agrega.
<link type="page"><caption> En vivo: sigue la cobertura de BBC Mundo minuto a minuto</caption><url href="http://www.bbc.com/mundo/noticias/2015/10/151023_livetext_llegada_huracan_patricia_mexico" platform="highweb"/></link>
Poco después de las 17:40 hora local, Patricia tocó tierra en el estado de Jalisco. Llegó con vientos de hasta 325 km/h.
Lo consideran el huracán más fuerte que se ha registrado en el Pacífico y Atlántico.
Patricia se desplazaba en ese momento a una velocidad de unos 17 km/h.
Se proyecta que el sistema llegue al estado de Jalisco, en una zona que incluye el centro turístico de Puerto Vallarta. Pero las autoridades mexicanas establecieron una alerta de huracán en Jalisco, Colima y Nayarit.
<link type="page"><caption> Lea: Huracán Patricia amenaza el Pacífico mexicano con "consecuencias potencialmente catastróficas"</caption><url href="http://www.bbc.com/mundo/noticias/2015/10/151023_mexico_huracan_patricia_jalisco_colima_az.shtml" platform="highweb"/></link>
Evolución
La evolución de Patricia, de tormenta tropical a huracán categoría 5 en cuestión de horas, ha sorprendido a los expertos.
El jueves en la madrugada la Unidad de Protección Civil del estado de Guerrero, en el Pacífico mexicano, identificó a Patricia como tormenta tropical.
<link type="page"><caption> Lee: Cómo se forman los huracanes en 6 pasos</caption><url href="http://www.bbc.com/mundo/noticias/2015/10/151023_guia_huracanes_lp" platform="highweb"/></link>
Dos horas más tarde el sistema evolucionó a huracán categoría 1 y fue ubicado a unos 400 kilómetros de la costa central del Pacífico, entre los estados de Guerrero y Michoacán.
A mediodía, hora local, el Servicio Meteorológico Nacional de México, informó que la tormenta se había intensificado a categoría 4 y que se desplazaba a 28 km/h, con vientos de hasta 215 km/h, "una velocidad mucho mayor de los ciclones de estas mismas características", informó.
El organismo proyectó que en las siguientes dos horas Patricia se fortalecería a categoría 5 y la proyección se cumplió cuando el huracán se encontraba a 360 km de la costa de Colima y Jalisco.

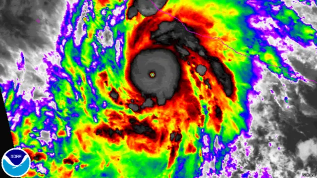
Fuente de la imagen, NOAA
Según el Centro Nacional de Huracanes de EE.UU. esta evolución del sistema de pasar de categoría 1 a 5 en menos de 10 horas es "extraordinaria".
"El ritmo de intensificación de la tormenta en un día es poco menos que histórica", afirma el CNH.
"En el proceso, Patricia se transformó de ser una conglomeración de tormentas eléctricas poco organizadas a uno de los sistemas tormentosos más fuertes y perversos del planeta", declaró el NHC.
"Se calcula que Patricia se ha intensificado 85 nudos (157 km/h) en las pasadas 24 horas", lo cual, agrega el organismo, es "una proeza extraordinaria".
Y el Centro advierte que la tormenta podría fortalecerse durante el viernes.
"Parece increíble pero podría intensificarse aún más antes de llegar a tierra (el viernes)", afirma el NHC.
"Porque imágenes recientes muestran indicios de que se está desarrollando una pared del ojo concéntrica", es decir, "un ojo dentro del ojo del huracán", un anillo de tormentas convectivas, que es donde ocurren las segundas condiciones más severas en el ciclón.

Fuente de la imagen, AP
Este es el llamado "ciclo de reemplazo de la pared del ojo" del huracán, un evento que ocurre en los ciclones más intensos, de 4 y 5.
El proceso ocurre cuando bandas exteriores de lluvia organizan un anillo exterior de tormentas eléctricas que lentamente se mueve al interior del huracán y le roba a la pared del ojo humedad y velocidad, provocando que el ciclón se debilite.
Posteriormente la pared exterior reemplaza a la pared interior y la tormenta vuelve a su intensidad previa y en algunos casos gana más fuerza.
Pero el huracán también podría debilitarse antes de tocar tierra, porque puede enfrentar un cambio de velocidad de viento y absorber aire seco del continente, asegura el CNH.
Y es probable que una vez que llegue a tierra se debilite rápidamente debido al terreno montañoso que encontrará en México.
El Niño
El "superciclón" que se dirige a México se ha visto impulsado por uno de los eventos más fuertes del fenómeno de El Niño desde 1950.

Fuente de la imagen, AFP
En este momento el Océano Pacífico está marcado por este fenómeno, que se caracteriza por un calentamiento de las aguas y provoca estragos en la zona debido a las intensas lluvias.
En septiembre pasado la Organización Meteorológica Mundial (OMM) advirtió que esta intensificación de El Niño se vería a partir de octubre de este año.
"Actualmente en el océano Pacífico tropical se está produciendo un episodio de El Niño fuerte y maduro", dice el comunicado de la OMM.
"Es probable que un episodio de El Niño maduro alcance su fase máxima entre octubre (2015) y enero del año siguiente", agrega.
La OMM proyectaba que las temperaturas del Pacífico aumentarían 2ºC por encima de lo normal y los expertos creen que estas condiciones han provocado un incremento en los sistemas de tormentas en el Pacífico.

Fuente de la imagen, Getty
El calentamiento global también podría estar jugando un papel en la intensidad que están adquiriendo las tormentas. Las temperaturas oceánicas del hemisferio norte han alcanzado las temperaturas más altas que se tiene registro, de 1,4º sobre el promedio.
En agosto pasado, cuando comenzó El Niño, se produjeron tres huracanes simultáneos en el Pacífico, los tres de categoría 3.
Y se cree que esta actividad atmosférica que ha ocurrido este año continúe viéndose en el futuro.
La Administración Nacional Oceánica y Atmosférica de Estados Unidos (NOAA, por sus siglas en inglés), en un informe sobre potenciales impactos del calentamiento global en la actividad de huracanes, publicado en septiembre, advierte: "Existen probabilidades a favor de que los números de huracanes muy intensos -de categoría 4 y 5- se incrementen una fracción sustancial" en este siglo.
Por el momento, el CNH pronostica que Patricia permanecerá siendo categoría 5 cuando llegue a tierra con el potencial de causar enorme destrucción.

Huracanes, ciclones y tifones son todos expresiones del mismo fenómeno atmosférico, pero reciben diferentes nombres en dependencia del lugar de su formación.
Los huracanes, como Patricia, se forman al este de la línea Internacional de Tiempo. Ciclones y tifones se forman al oeste de la misma.









