El huracán Michael de categoría 4 toca tierra en Mexico Beach como la peor tormenta en llegar al noroeste de Florida en más de un siglo

Fuente de la imagen, Getty Images
- Autor, Redacción
- Título del autor, BBC News Mundo
- Tiempo de lectura: 4 min
El noroeste de Florida sintió la fuerza sin precedentes del huracán Michael, la peor tormenta en llegar a esa zona en más de un siglo y que en la tarde del miércoles ya se había dejado al menos un muerto.
El poderoso ciclón, de categoría 4 en la escala Saffir-Simpson (de un máximo de 5) y con vientos máximos sostenidos de casi 250 km/h, tocó tierra en la zona de Mexico Beach, al noroeste de la península de Florida, región conocida como el Panhandle.
El huracán entró a territorio de Estados Unidos como una de las tormentas más poderosas en azotar la región continental de ese país desde que se tienen registros.
Este artículo contiene contenido proporcionado por X. Solicitamos tu permiso antes de que algo se cargue, ya que ese sitio puede estar usando cookies y otras tecnologías. Es posible que quieras leer política de cookies y política de privacidad de X antes de aceptar. Para ver este contenido, selecciona 'aceptar y continuar'.
Fin del contenido de X, 1
De hecho, de acuerdo con estadísticas de la Universidad de Colorado, es la cuarta tormenta con vientos más destructores en llegar a Estados Unidos, solo superada por un huracán sin nombre que impactó en 1935, Camille (1969) y Andrew (1992).
Según reportes de medios locales, las inundaciones y destrozos eran visibles en varias ciudades del noroeste de Florida.
"A lo largo de nuestra costa, las comunidades van a ver una devastación inimaginable", pronosticó en la mañana del miércoles el gobernador del estado Rick Scott.

Fuente de la imagen, AFP
De acuerdo con las autoridades, más de 370.000 personas en Florida recibieron órdenes de evacuación, aunque se estima que el número que salió de sus hogares fue mucho menor.
En el condado de Gadsent, al oeste de la capital estatal Tallahassee, las autoridades reportaron una muerte relacionada con algo arrastrado por el viento en un evento "relacionado con un árbol".

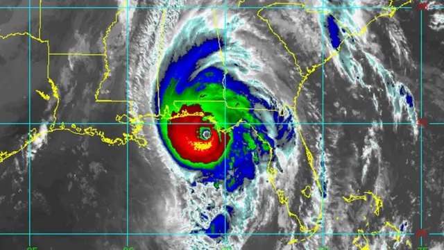
Fuente de la imagen, NOAA
El Centro Nacional de Huracanes (NHC) de Estados Unidos alertó que Michael era un huracán "extremadamente peligroso" y pronosticó marejadas ciclónicas con riesgo para la vida, vientos huracanados y fuertes lluvias a lo largo de la costa noreste del golfo de México.
"Un monstruo"
Este huracán es el segundo de categoría 4 que llega a Florida en 13 meses, después del huracán Irma el año pasado.
Sin embargo, de acuerdo con las autoridades, su rápido paso de tormenta tropical a huracán de gran intensidad en menos de dos días dejó poco tiempo al estado para prepararse.
"Desafortunadamente, este es un huracán de la peor clase, es un monstruo", aseguró Brock Long, director de la Agencia Federal de Manejo de Emergencias.

Fuente de la imagen, Getty Images
El NHC, con sede en Miami, pronosticó que la tormenta podría causar "daños catastróficos por el viento" y un aumento del nivel del mar de hasta cinco metros.
"Se verán los techos de las casas volando. Se verán las casas colapsando", alertó Ken Graham, director de esa institución.

Fuente de la imagen, Getty Images
Aunque desde 1992 Florida fortaleció sus códigos de construcción tras el huracán Andrew, muchas de las casas en el Panhandale de Florida no están preparadas para soportar la intensidad de un huracán como Michael.
Esa región, además, está cubierta mayormente de pinos y con los vientos superiores a los 200 km/h las autoridades temen que los troncos de estos árboles puedan convertirse en "auténticos proyectiles".
Daño extendido
Los peligros de Michael, de acuerdo con las autoridades, no se limitan a esa zona de Florida.
El NHC también pronosticó fuertes lluvias para Georgia y las Carolinas, que fueron azotadas por el huracán Florence el mes pasado.
En Alabama los expertos advirtieron sobre la posibilidad de tornados, mientras el Servicio Nacional de Meteorología indicó que más de 500 kilómetros de costa están actualmente bajo amenaza.

Fuente de la imagen, Getty Images
El sur de Georgia será la siguiente zona en la trayectoria del huracán y las autoridades allí temen la posibilidad de inundaciones repentinas.
"Debido a su movimiento de avance, veremos que el huracán permanece intacto en el suroeste y centro de Georgia", alertó Long.
Este artículo contiene contenido proporcionado por X. Solicitamos tu permiso antes de que algo se cargue, ya que ese sitio puede estar usando cookies y otras tecnologías. Es posible que quieras leer política de cookies y política de privacidad de X antes de aceptar. Para ver este contenido, selecciona 'aceptar y continuar'.
Fin del contenido de X, 2
"Y luego veremos la lluvia a través de Carolina del Sur, descargando de 10 a 15 centímetros de lluvia en ríos que ya están saturados y que en realidad no han retrocedido mucho desde Florence hace unas semanas", agregó.
Desastres previos
Antes de desplazarse por el golfo de México hacia Estados Unidos, Michael dejó más de una decena de muertos en Honduras, Nicaragua y El Salvador.

Fuente de la imagen, EPA
El occidente de Cuba también se vio afectado por fuertes vientos y lluvias, y varias comunidades continúan sin electricidad.
Varias plataformas petroleras en el Golfo de México fueron cerradas, lo que conllevó a que se redujera la producción diaria de petróleo en esa zona, según la Oficina de Seguridad y Control Ambiental de Estados Unidos.


Ahora puedes recibir notificaciones de BBC News Mundo. Descarga la nueva versión de nuestra app y actívalas para no perderte nuestro mejor contenido.
































