Ураган "Иэн" ударил по Флориде. До этого он полностью "отключил" энергоснабжение на Кубе
Электроснабжение восстановлено в некоторых частях Кубы после того, как ураган "Иэн" обрушился на западную оконечность острова и полностью вывел из строя систему энергоснабжения страны. Сообщается, что два человека погибли, здания были повреждены по всей стране. В среду вечером ураган ударил по американскому штату Флорида, где около миллиона жителей остались без электричества, в городах начались наводнения.
Кубинские власти начали постепенно восстанавливать подачу электричества в восточных регионах к утру среды, но предупредили, что на западе острова этот процесс будет более сложным. Утром министерство энергетики и горнорудной промышленности Кубы сообщило, что электроснабжение восстановлено в трех регионах, работы в других продолжаются.
Кроме того, власти США заявили, что ведут поисковую операцию в море после того, как около Кубы во время урагана, предположительно, затонул корабль, на борту которого было 23 мигранта.
Обесточенный остров
Как сообщило ранее кубинское правительство, из-за удара "Иэна" из строя вышла крупнейшая в стране теплоэлектростанция "Антонио Гитерас". Оперативно включить ее не удалось, и остров оказался полностью обесточен: без света остались 11 млн человек.
ТЭС "Антонио Гитерас" расположена в Матансасе, в 100 км к востоку от Гаваны, и является важнейшей на Кубе. Ее отключение означало, что на острове полностью перестала производиться электроэнергия.

Автор фото, Getty Images
Майелин Суарес, жительница Пинар-дель-Рио, сказала, что ночь понедельника, когда разразился шторм, была самой мрачной в ее жизни. "Мы чуть не лишились крыши нашего дома, - рассказала она агентству Рейтер. - Мы с мужем и дочерью привязали ее веревкой, чтобы не улетела".
Президент Кубы Мигель Диас Канель посетил провинцию и пообещал в "Твиттере", что страна "преодолеет невзгоды".
Флорида - следующая
Во второй половине дня в среду "Иэн" ударил по Флориде и вызвал затопление в городе Нейплс на юго-западе полуострова. Губернатор Флориды Рон Десантис заявил, что ураган наносит крайне серьезные повреждения инфраструктуре, однако, по его наблюдениям, уровень воды уже достиг максимума.

По данным американских метеорологических служб, к 17:00 по местному времени уровень воды в Нейплс поднялся до отметки 2,74 метра, что значительно превысило прогнозы.
Сейчас во Флориде без электричества остались около 2 млн человек. Отменены более 2 тыс. авиарейсов.
Повреждения энергосетям наносит сильный ветер, который приводит к падению линий электропередач. Однако еще большую опасность представляет затопление, вызванное штормовым нагоном воды.
"Мексиканский залив практически двигается на берег - через пляжи и в жилые районы, - говорит Эрик Сална из Международного центра по изучению ураганов. - Это водное вторжение трудно себе представить, пока не увидишь его в реальности". Эксперт добавляет, что от наводнений, как правило, погибает больше людей, чем от ветра, и приток воды, вызванный "Иэном", был "наихудшим из возможных".

Автор фото, AFP via Getty Images
Ранее предполагалось, что "Иэн" может нанести удар по густонаселенному району города Тампа, где подобное последний раз происходило в 1921 году. Однако на самом деле удар пришелся несколько южнее.
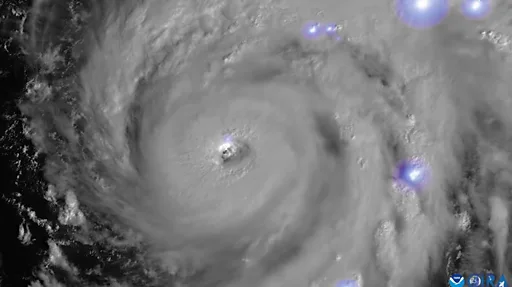
"Иэн" находился примерно в 125 км от побережья в 05:00 по местному времени (09:00 по Гринвичу), когда Национальный центр ураганов объявил, что он стал ураганом четвертой категории. Это означает чрезвычайную опасность: по прогнозам, скорость ветра может достигать 240 км/ч.

Автор фото, Getty Images
Губернатор Флориды в минувшие выходные объявил чрезвычайное положение во всей Флориде и задействовал 5 тыс. военнослужащих Национальной гвардии.
Директор Института экстремальных явлений в Международном университете Флориды Ричард Олсон выразил беспокойство в связи с недостаточно активной эвакуацией. Более 2,5 млн жителей Флориды в ряде прибрежных городов начали эвакуацию, а в некоторых районах полиция ходила по домам и просила людей покинуть свои дома.

Автор фото, Getty Images
Жители скупали бутылки с водой, заколачивали окна и заносили в дома садовую мебель. Школы и университеты также отменили занятия на неделю.
Тематические парки Disney World, Sea World и Busch Gardens в Тампе закрылись из-за приближающегося шторма, а НАСА вновь отложило запланированный запуск с Космического центра Кеннеди. Ракету Artemis, запуск которой и так уже дважды откладывался, отвезли со стартовой площадки в сборочный цех.
Из-за урагана был также перенесен старт ракеты компании SpaceX, которая должна была отправить на Международную космическую станцию российскую космонавтку Анну Кикину. Ранее планировалось, что запуск будет осуществлен 3 октября, однако теперь его назначили на 4-е.
Соседний штат Джорджия также объявил чрезвычайное положение и привел в состояние готовности 500 военнослужащих Национальной гвардии.
Карибский бассейн все еще не оправился от последствий урагана "Фиона", который пронесся по региону на прошлой неделе.



























