Main content

Hurricane Irma Hits Cuba
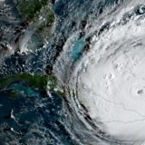
The category 5 storm blasts Cuba after leaving Caribbean islands, and a huge evacuation is underway in Florida where Irma is heading next.
The category 5 storm blasts Cuba after leaving Caribbean islands, and a huge evacuation is underway in Florida where Irma is heading next. Also in the programme: a Burmese government minister on the current Rohingya crisis; and the novelist John Le Carré on the men and women who spied with and against him.
(Photo: Handout geocolour image of Hurricane Irma passing eastern Cuba. Credit: Press Association)
Last on
Sat 9 Sep 201712:06GMT
BBC World Service except News Internet
Broadcast
- Sat 9 Sep 201712:06GMTBBC World Service except News Internet
Podcast
![]()
Newshour
Interviews, news and analysis of the day’s global events.
