Milhares são evacuados no México à espera do furacão Jimena

Milhares de pessoas estão sendo evacuadas do Estado mexicano da Baixa Califórnia do Sul (noroeste do país) nesta terça-feira por causa da ameaça do furacão Jimena.
O governo estadual afirma que cerca de duas mil pessoas já tiveram que deixar suas casas, mas esta cifra ainda deve aumentar.
Calcula-se que cerca de 20 mil pessoas se encontram em risco devido à tempestade, que já se faz sentir na região.
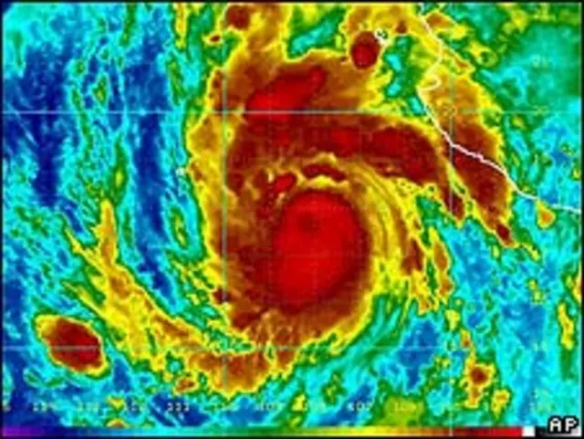
Segundo o Centro Nacional de Furacões dos Estados Unidos, o Jimena, que está no Oceano Pacífico, tinha por volta das 17h30 (hora de Brasília) ventos de cerca de 205 km/h, com rajadas ainda mais fortes, o que faz dele um furacão categoria três na escala Saffir-Simpson de intensidade, que vai até cinco.
A tempestade deve chegar ao continente na região da Baixa Califórnia do Sul nas próximas horas, de acordo com uma projeção do centro.
Emergência
O diretor de Proteção Civil do Estado de Baixa Califórnia do Sul, José Gajón, disse à BBC Mundo que o governo local preparou 147 abrigos temporários com capacidade para receber cerca de 30 mil pessoas e existe risco de que a passagem do furacão pela região possa causar mortes.
"É um evento inédito. Nos preocupa que possamos ter uma situação que nunca antes vivemos", disse.
O governo mexicano declarou emergência em três municípios do Estado, de Los Cabos, La Paz e Comondu.
Os portos foram fechados e as aulas foram suspensas em comunidades costeiras.
"Venta tanto por aquí que os telhados estão sendo levados pelo vento. Estamos esperando transporte para irmos embora", disse Omar Barrios, empregado da colônia Tierra y Libertad, em Cabo San Lucas, que, junto com a mulher e dois filhos se encontram em uma área de risco.
O Exército deve enviar soldados para ajudar a população em alguns municípios e dois aviões levaram médicos e víveres a locais mais vulneráveis.
Cerca de 1,5 mil turistas, a maioria americanos, tiveram que interromper suas férias por causa da passagem do Jimena.
Depois de chegar à terra firme, o furacão deve ficar cerca de 24 horas no México e então rumar para o Estado americano da Califórnia, mas com menos intensidade.























