Filipinas se prepara para afrontar el tifón más potente del año

Las autoridades de Filipinas ordenaron evacuaciones masivas y el cierre de escuelas ante el avance de uno de los tifones más potentes del año.
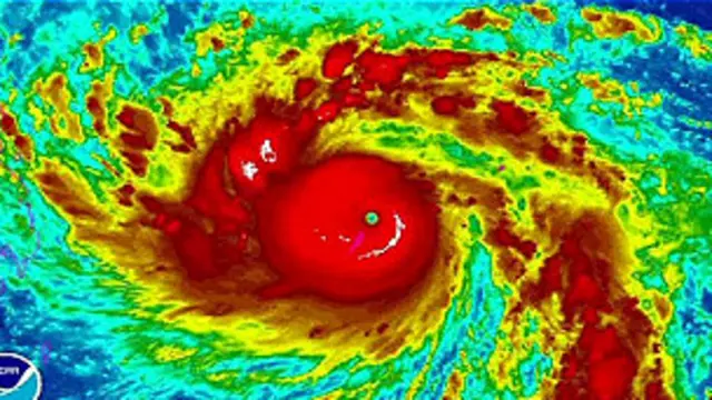
El supertifón, bautizado Haiya, está generando ráfagas de hasta 330 km/h y amenaza con destruir todo lo que encuentre a su paso a través de las islas centrales de Filipinas cuando llegue al país este viernes.
El presidente Benigno Aquino se dirigió a la nación por televisión pidiendo a las autoridades locales hacer todo lo posible para minimizar la pérdida de vidas.
Se espera que el tifón afecte áreas que aún no se recuperan de una devastadora tormenta de hace dos años y de un terremoto el pasado mes.





