¿Por qué fue tan feroz el supertifón Haiyán?

- Autor, Ciencia
- Título del autor, BBC Mundo, @bbc_ciencia
El extraordinario poder destructivo del tifón Haiyán, que arrasó comunidades enteras en Filipinas, asombró a quienes habían previsto su paso pero no su fuerza.
Alrededor de 10.000 muertos, más de 600.000 personas desplazadas y un país en estado de calamidad nacional figuran en el triste récord de una de las tormentas más potentes de la historia.
Sin embargo, el presidente filipino, Benigno Aquino, aseguró que esos reportes iniciales de víctimas mortales son demasiado altos y que la última estimación es de aproximadamente 2.500.
Y aunque los filipinos están acostumbrados a la amenaza de los tifones –han sufrido más de 20 sólo en este año– ninguno se acerca a la magnitud de este.

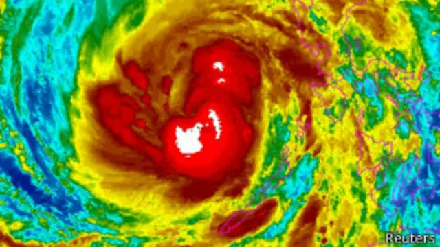
"Creo que lo que lo hizo particularmente peligroso fue que alcanzó su punto máximo de intensidad cuando llegó a la costa, y por eso es probablemente uno de los tifones más poderosos que jamás haya tocado tierra", dijo a la BBC Julian Heming, del servicio meteorológico británico.
¿Pero cómo se forma una tormenta como ésta, la versión más extrema del clima?
Calor y baja presión
Como todas las tormentas tropicales, comenzó como un grupo de cumulonimbos o nubes cargadas de electricidad. Algo común, según explica David Shukman, editor científico de la BBC.
Pero estas nubes se fundieron rápidamente en un único sistema atmosférico que comenzó a rotar, arrastrando aire hacia arriba, hacia su centro.
La tormenta se extendió sobre más de 400 kilómetros. En este punto, ya era un tifón.
El calor, creciente por el movimiento, iba aumentando su fuerza. Las temperaturas altas significan más energía, y esto hace que se acelere el viento en el ojo de la tormenta y a su alrededor.
Según reporta Matt McGrath, corresponsal de Medio Ambiente de BBC, Haiyán presentó características inusuales que incrementaron su potencia. Normalmente, las paredes de la tormenta que rotan alrededor del ojo se van renovando con el movimiento, debilitando la velocidad de los vientos. Pero eso no pasó en este caso.
Pero además, la intensa presión baja levantó la superficie del mar para crear una marejada ciclónica o inundación costera, otra fuente de peligro que arrasó con todo lo que se encontró a su paso.

La tormenta llegó a Filipinas por la isla de Samar, a unos 600 kilómetros de la capital, Manila, poco antes del amanecer del viernes pasado, con vientos que se estima rondaban los 314kph.
Guiuan, una localidad de pescadores de 40.000 habitantes, fue el primer lugar que golpeó la tormenta, que arrancó casi todos los techos de las casas.
Tacloban, de 200.000 habitantes, también sufrió los embates del ciclón.
Cambio climático
Mientras los filipinos luchan por sobrevivir tras el tifón y esperan la ayuda internacional, los efectos de la catástrofe se hicieron sentir de un modo particular en la apertura de conferencia mundial sobre cambio climático en Varsovia, Polonia.
El desatre causado por Haiyán marcó el inicio de la cumbre de Naciones Unidas, que arrancó este lunes en la capital polaca y durará dos semanas.
La intervención del delegado filipino llamando a la acción inmediata conmovió a los asistentes.
"Podemos arreglarlo, podemos detener esta locura ahora mismo", dijo Naderev Saño al borde de las lágrimas, y anunció una huelga de hambre hasta que se avance en los acuerdos para contrarrestar los efectos del calentamiento global.
"En solidaridad con mis compatriotas, que luchan para encontrar alimentos, voy a comenzar un ayuno voluntario por el clima", declaró Saño al comienzo de la sesión de apertura.
Saño, originario de Tacloban, también dijo que había conseguido comunicarse con su hermano en Filipinas, aunque todavía espera más noticias de sus familiares.
A pesar de que aún no hay evidencia que atribuya al cambio climático la responsabilidad por severos eventos atmosféricos como el tifón Haiyán, los científicos creen que el aumento de la temperatura de los océanos puede hacer que estas tormentas sean más feroces.
<link type="page"><caption> Síganos en Twitter @bbc_ciencia</caption><url href="https://twitter.com/bbc_ciencia" platform="highweb"/></link>









