"Inundaciones catastróficas": las imágenes de destrucción que va dejando el huracán Harvey a su paso por Texas

Fuente de la imagen, Getty Images
- Autor, Redacción
- Título del autor, BBC Mundo
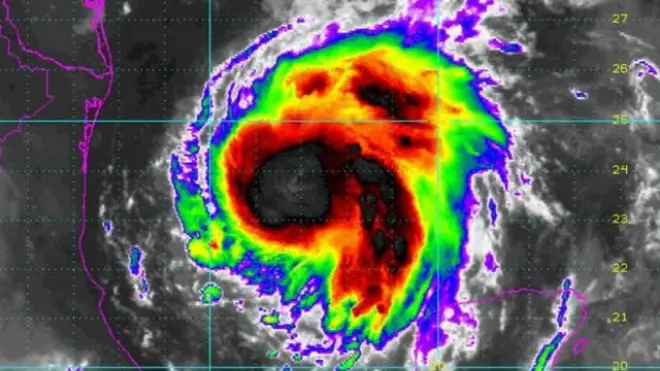
"Inundaciones catastróficas que ponen en peligro la vida". Con esas palabras el Centro Nacional de Huracanes de Estados Unidos (NHC, por sus siglas en inglés) describió la amenaza que enfrenta el estado de Texas tras la llegada del huracán Harvey.
La poderosa tormenta deja lluvias torrenciales que pueden acumular hasta 101 centímetros de agua en algunas áreas de la costa media y alta del estado.
En algunos lugares, ya dejado más de 50 centímetros de lluvia.
Además, el NHC advirtió que las zonas de costa también sufrirán inundaciones por las olas provocadas por la tormenta durante la etapa de marea alta.
Harvey es la mayor tormenta en llegar a territorio de Estados Unidos en los últimos 13 años.
Además de golpear con vientos de hasta 215 kilómetros por hora de velocidad, se registró una elevación del nivel del agua en 3,5 metros.
Tras tocar tierra, Harvey fue degradado a huracán de categoría 1, pero no por ello su potencial destructivo está anulado.
BBC Mundo te muestra algunas de las imágenes más impactantes que va dejando Harvey a su paso por Texas.

Fuente de la imagen, Getty Images

Fuente de la imagen, Getty Images

Fuente de la imagen, Getty Images

Fuente de la imagen, Getty Images

Fuente de la imagen, Getty Images

Fuente de la imagen, Getty Images

Fuente de la imagen, Reuters

Fuente de la imagen, AFP/Getty Images

Fuente de la imagen, James Cook/BBC

Fuente de la imagen, Reuters

Fuente de la imagen, Galveston.com/AFP










