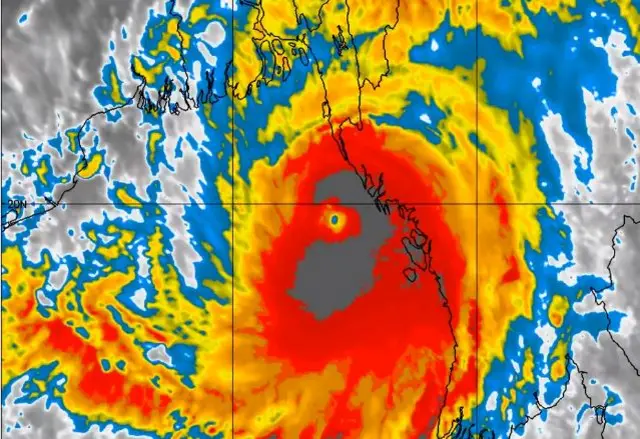
ঘূর্ণিঝড় মোখা নিয়ে সর্বশেষ কিছু তথ্য

ছবির উৎস, Abdul Aziz
বঙ্গোপসাগরে সৃষ্ট অতি প্রবল ঘূর্ণিঝড় মোখা বাংলাদেশের টেকনাফ এবং মিয়ানমারের রাখাইন উপকূল দিয়ে প্রবেশ করে দুর্বল হয়ে স্থল নিম্নচাপে পরিণত হয়েছে। সেটি উত্তর দিকে আরও সরে বৃষ্টির সাথে সাথে দুর্বল হয়ে পড়ছে।
বাংলাদেশের ওপর থেকে ঘূর্ণিঝড়ের প্রভাব পুরোপুরি চলে গেছে বলে জানিয়েছে আবহাওয়া অধিদপ্তর।
বাংলাদেশের সমুদ্র বন্দরগুলোয় মহাবিপদ সংকেত নামিয়ে স্থানীয় সতর্ক সংকেত দেখাতে বলা হয়েছে।
ঘূর্ণিঝড়ের কারণে বাংলাদেশের সেন্ট মার্টিন দ্বীপে ১২০০ ঘরবাড়ি বিধ্বস্ত হয়েছে। সেন্ট মার্টিনে বহু গাছপালা উপড়ে গেছে, পুরো দ্বীপ লণ্ডভণ্ড হয়ে পড়েছে বলে বাসিন্দারা জানিয়েছেন।
কক্সবাজার জেলায় সাড়ে ১০ হাজার ঘরবাড়ি ক্ষতিগ্রস্ত হয়েছে বলে কর্মকর্তারা জানিয়েছেন। সবমিলিয়ে ঝড়ের প্রভাবের শিকার হয়েছেন তিন লাখ ৩৪ হাজার মানুষ।
রোহিঙ্গা ক্যাম্পে কয়েকশ ঘরবাড়ি ঝড়ে বিধ্বস্ত বা ক্ষতিগ্রস্ত হয়েছে বলে জানা যাচ্ছে।
মিয়ানমারের রাখাইন রাজ্যের অনেক এলাকা যোগাযোগ বিচ্ছিন্ন হয়ে পড়েছে। সিতওয়ে শহরের বাসিন্দাদের সঙ্গে টেলিফোনে যোগাযোগ করা যাচ্ছে না। সেখানকার কাঠের বাড়িঘর ভেঙ্গে পড়েছেসবরকমের টেলিফোন যোগাযোগ বিচ্ছিন্ন হয়ে পড়েছে। সিতওয়ে শহরে বহু বাড়িঘরে পানি ঢুকে গেছে।
মিয়ানমারের সামরিক জান্তা বিরোধী এনইউজে সরকারের কর্মকর্তারা জানিয়েছেন, ঝড়ে ইরাবতী এবং মান্দালায় পাঁচ জনের মৃত্যু হয়েছে।
ঘূর্ণিঝড়ের কারণে যারা কক্সবাজার, টেকনাফ বা সেন্ট মার্টিনের আশ্রয় কেন্দ্রে উঠেছিলেন, তারা নিজেদের বাড়িঘরে ফিরতে শুরু করেছেন।
ঝড় চলে গেলেও আরও একদিন বৃষ্টি এবং সমুদ্র উত্তাল থাকতে পারে বলে আবহাওয়া দপ্তর বলছে। মাছ ধরা নৌকা এবং ট্রলারকে নিরাপদ আশ্রয়ে থাকতে বলা হয়েছে।
ঘূর্ণিঝড়ের কারণে এলএনজি সরবরাহ বন্ধ থাকায় দেশের অনেক এলাকায় গ্যাসের সরবরাহ বিঘ্নিত হচ্ছে। এর প্রভাব পড়েছে বিদ্যুৎ উৎপাদনেও, যার ফলে লোডশেডিং বেড়েছে। এই পরিস্থিতি স্বাভাবিকহতে ৬/৭ দিন লাগবে বলে জানানো হয়েছে।





















