اوباما يعلن حالة الطوارئ في لويزيانا جراء اعصار ايزاك

الرئيس الامريكي باراك اوباما يعلن حال الطواريء في لويزيانا مع اقتراب اعصار ايزاك من سواحل خليج المكسيك.
.لاستخدام هذا الملف لابد من تشغيل برنامج النصوص "جافا"، وأحدث الإصدارات من برنامج "فلاش بلاير"
أعلن الرئيس الأمريكي باراك أوباما حالة الطوارئ في ولاية لويزيانا المطلة على خليج المكسيك في الوقت الذي هددت فيه العاصفة الاستوائية أيزاك باجتياح الولايات المتحدة بقوة إعصار من الفئة الثانية.
ومن المتوقع أن تصل إسحاق إلى نيويورك مساء الثلاثاء على أقرب تقدير، تقريبا بالتزامن مع الذكرى السنوية السابعة لإعصار كاترينا الذي ألحق أضرارا بالمدينة.
وأجل الحزب الجمهوري مؤتمره السنوي في ولاية فلوريدا والذي كان من المقرر أن يختار ميت رومني بصفة رسمية ليكون مرشحه في الانتخابات الرئاسية المقررة في نوفمبر/تشرين الثاني المقبل.
وأسفرت أيزاك عن مقتل عشرين شخصا على الأقل في هايتي وجمهورية الدومينيكان.
وتسببت في هطول أمطار غزيرة والحقت أضرارا في منطقة الكاريبي.
وحذر المركز الوطني للأعاصير في وقت متأخر من الاثنين بأن أيزاك قد تتزايد قوتها لتصبح إعصارا من الفئة الثانية، ليعدل بذلك من تقييمه السابق بأنها قد تصبح إعصارا من الفئة الأولى.
ووافق الرئيس أوباما على طلب لويزيانا بإعلان كارثة اتحادية محتملة، وهو ما يعني توفير أموال اتحادية لجهود التعافي من آثار الإعصار مثل تطهير الركام.
وكان الحكام الجمهوريون لالاباما ولويزيانا وميسيسيبي الغوا مشاركتهم في مؤتمر الحزب للتركيز على جهود منع حدوث كارثة بسبب العاصفة.
وأيزاك بالفعل هي عاصفة كبيرة، ويمكن أن تتسبب في أضرار كبيرة لمناطق تقع على بعد مئات الأميال من مركزها، بحسب مسؤولين.
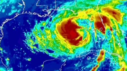
وقال مركز الأعاصير الوطنية قال إنه في تمام الساعة 20:00 بتوقيت غرينتش الاثنين كان مركز أيزاك على بعد 415 كيلومترا جنوب شرق مصب نهر ميسيسيبي بقوة رياح متواصلة تصل إلى 110 كيلومترا في الساعة.
وكانت صدرت أوامر بالفعل بإجلاء السكان في بعض المناطق المنخفصة في لويزيانا وأجزاء من المنطقة الساحلية في الاباما.
وتحركت العاصفة الاستوائية أيزاك بسرعة نحو خليج المكسيك يوم الإثنين مهددة بتعطيل إمدادات الغاز والنفط والتحول إلى إعصار قوي يمكن أن يصل إلى اليابسة بالقرب من ولاية لويزيانا الأمريكية بعد قرابة سبع سنوات من اجتياح الاعصار كاترينا للولاية.
اجتياح
واجتاحت العاصفة أيزاك جنوب فلوريدا يوم الأحد قبل أن تتحرك صوب مياه الخليج الدافئة.
وكانت مدينة نيو اورليانز تعرضت لدمار هائل بسبب الإعصار كاترينا الذي اجتاحها يوم 29 أغسطس/ آب من عام 2005 وأدى إلى مقتل أكثر من 1800 شخص وسبب أضرارا بمليارات الدولارات على طول الساحل.
واستعدادا للعاصفة الاستوائية أيزاك، أمر روبرت بنتلي حاكم الاباما بعمليات إجلاء إلزامية تبدأ يوم الاثنين لسكان المناطق المنخفضة على طول الساحل.
وبدأ بعض سكان منطقة الخليج في تخزين المؤن وتأمين منازلهم. وفي نيو أورليانز اصطف الناس أمام بعض محطات البنزين وازدحمت المتاجر الكبرى في مسيسيبي بالسكان الذين يرغبون في اقتناء المياه المعدنية والأغذية المعلبة.

توقع المركز الأمريكي للأعاصير أن تتحول العاصفة إلى إعصار
ويتوقع خبراء الأرصاد أن تتحرك العاصفة أيزاك في مسار يميل إلى الغرب بشكل أكبر لتمر فوق مركز إنتاج النفط البحري الامريكي الذي يوفر نحو 23 في المئة من الناتج النفطي الامريكي وسبعة في المئة من إنتاج الغاز الطبيعي في الولايات المتحدة.
وقالت السلطات في هايتي إن العاصفة أيزاك قتلت ثمانية أشخاص بينهم ثلاثة أطفال.
وقال مسؤولون في جمهورية الدومنيكان إن ثلاثة أشخاص فقدوا وأكدوا وفاة رئيس بلدية بالقرب من سانتو دومينجو بعدما ابتلعته مياه نهر بينما كان يحاول إنقاذ أحد الأشخاص.