الإعصار إيدا يقطع الكهرباء عن مدينة نيو أورليانز الأمريكية

صدر الصورة، Brandon Bell/Getty Images
انقطعت الكهرباء في مدينة نيو أورليانز الأمريكية حيث تعمل المولدات فقط، بينما يضرب إعصار إيدا ولاية لويزيانا.
وجلبت العاصفة رياحا بسرعة 240 كيلومترا في الساعة عندما وصلت إلى اليابسة، ونُصح الأشخاص الذين لم يفروا بالاحتماء في أماكنهم.
وسيختبر الإعصار شبكة سدود المدينة المضادة للفيضانات، والتي تم تعزيزها بعد أن قتل إعصار كاترينا 1800 شخص في عام 2005.
وقال الرئيس الأمريكي جو بايدن إن إيدا سيكون "مهددا للحياة"، مع احتمال حدوث دمار هائل بالقرب من السواحل.
وانقطعت الكهرباء عن أكثر من 750 ألف منزل في لويزيانا، وقال بايدن إن الأمر قد يستغرق أسابيع لاستعادة الإمدادات.
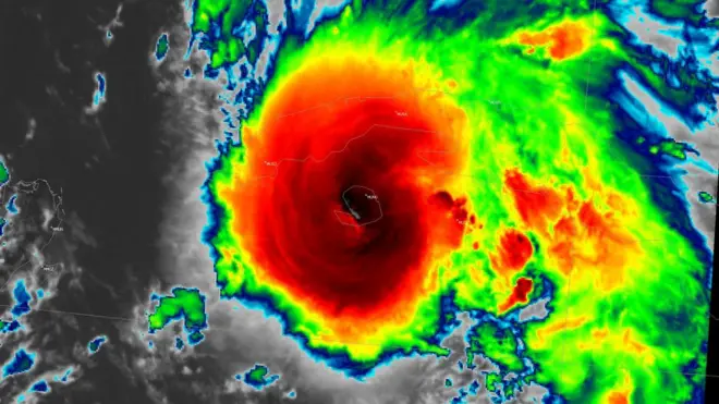
واستجمع إعصار إيدا قوته فوق المياه الدافئة لخليج المكسيك، خلال عطلة نهاية الأسبوع.
ووصل إلى اليابسة يوم الأحد جنوب نيو أورليانز كإعصار من الفئة الرابعة، ما يعني أنه سيتسبب في أضرار جسيمة للمباني والأشجار وخطوط الكهرباء. ومنذ ذلك الحين، ضعُف قليلاً إلى عاصفة من الفئة الثالثة.
وفي بعض المناطق، قد يصل ارتفاع موجات المد المصاحبة للإعصار إلى 4.8 متر، وهو ما يمكن أن يؤدي إلى غمر بعض الأجزاء المنخفضة من الشريط الساحلي.
ووصل إيدا إلى الشاطئ في الذكرى السادسة عشرة لكاترينا، وهي عاصفة من الفئة الثالثة ضربت المدينة عام 2005.
منذ ذلك الحين، تم إنفاق مليارات الدولارات على الدفاعات ضد الفيضانات، المعروفة باسم السدود. وحتى الآن صمدت السدود، على الرغم من وجود تحذير من فيضان مفاجئ على نيو أورليانز.

صدر الصورة، Getty Images
وقال جون بيل إدواردز حاكم ولاية لويزيانا: "ليس هناك شك في أن الأيام والأسابيع القادمة ستكون صعبة للغاية على دولتنا، وسيخضع الكثير والكثير من الناس للاختبار بطرق لا يمكننا تخيلها إلا اليوم. لكن يمكنني أن أخبرك أيضًا أننا كولاية لم نكن أبدًا أكثر استعدادًا من الآن".
وهدمت الرياح العاتية جزءا من سقف مستشفى في بلدة "كت أوف"، على ساحل خليج المكسيك في الولاية. وقال المستشفى إنه تعرض "لأضرار جسيمة" لكن مرضاه بخير.
ولا يزال تأثير تغير المناخ على تواتر العواصف غير واضح، لكن من المعروف أن ارتفاع درجات حرارة سطح البحر يسخن الهواء أعلاه، ويوفر المزيد من الطاقة لدفع الأعاصير والعواصف. ونتيجة لذلك، من المرجح أن تكون أكثر قوة مع هطول أمطار غزيرة.
وقالت تانيا غاليفر غارسيا، من سكان نيو أورليانز وتعمل في مركز خيري لمكافحة الكوارث، لبي بي سي إنها ستبقى في مكانها.
وقالت: "أنا قلقة إلى حد ما - أكثر مما توقعت. لقد تطوعت في مكافحة الكوارث لعدد من السنوات، لكن الأمر مختلف عندما تكون في منزلك، بدلاً من مكان لطيف وآمن ومحمي".
وحذرت هيئة الأرصاد الجوية الوطنية سكان نيو أورليانز بأن يختبئوا فورا، إذا لم يكونوا فعلوا ذلك، وكتبت بموقع تويتر: "اركنوا إلى غرفة داخلية أو إلى غرفة صغيرة دون نوافذ. الزموا بيوتكم في هذه الظروف".
وتعاني مستشفيات لويزيانا من ضغط بسبب مرضى كوفيد-19، إذ أن الولاية بها ثالث أعلى نسبة إصابات في الولايات المتحدة.
وعادة ما تُخلى المستشفيات التي تكون في مسار الأعاصير، ولكن هذه المرة الأسرة المتوفرة قليلة حتى في المستشفيات البعيدة عن السواحل.
وقال إدواردز: "لا مجال لدينا لجلب هؤلاء المرضى لا داخل الولاية ولا خارجها".
وتم إيقاف أكثر من 90 في المئة من إنتاج النفط في خليج المكسيك.




























