بين "الإعصار العظيم" و"إعصار القرن": ما أقوى الأعاصير في التاريخ؟

صدر الصورة، AFP via Getty Images
ضرب إعصار "ميليسا" جامايكا بأقوى سرعة رياح شهدتها هذه الدولة الكاريبية على الإطلاق. إليكم مقارنة بينه وبين العواصف القياسية الأخرى.
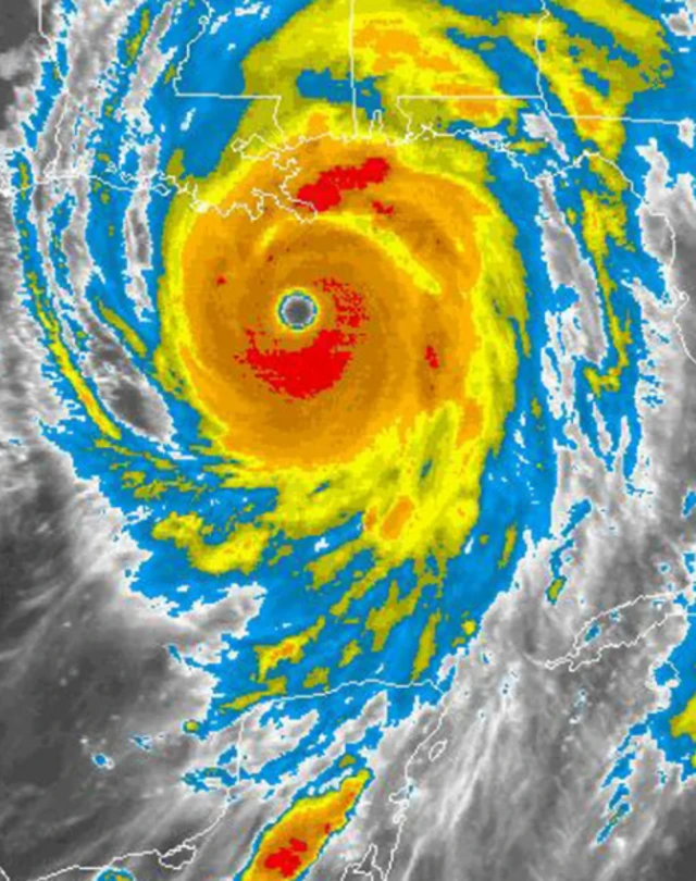
في أكتوبر/تشرين الأول عام 2025، اقترب إعصار "ميليسا"، المُصنَّف من الفئة الخامسة الأعلى، من جامايكا، بسرعة رياح بلغت 281 كيلومتراً/ساعة، ما جعله أقوى عاصفة لهذا العام من حيث سرعة الرياح، وإحدى أقوى العواصف الأطلسية التي سجلت رقماً قياسياً.
صنفت المنظمة العالمية للأرصاد الجوية هذا الإعصار بأنه "عاصفة القرن" بالنسبة لجامايكا، وحذّر المركز الوطني للأعاصير من أنه سيتسبب في "فيضانات مفاجئة كارثية تهدد الأرواح".

صدر الصورة، RICARDO MAKYN/AFP via Getty Images
"الإعصار العظيم" عام 1780: تسبب في حصد أكبر عدد من الأرواح
في ليلة التاسع من أكتوبر/تشرين الأول عام 1780، وبعد يومٍ مُعتدل في جزيرة باربادوس الكاريبية، بدأ المطر في الهطول.
وفي صباح اليوم التالي، هبّت ريح قوية، وبحلول الساعة السادسة مساءً، ضرب إعصارٌ الجزيرةَ بكامل قوته. هذا الإعصار الذي يُعرف باسم "الإعصار العظيم"، لا يزال مُصنَّفاً كأعنف إعصار أطلسي سُجّل على الإطلاق. وتتراوح تقديرات عدد القتلى جرّاءه ما بين 20 ألفاً و27,500 شخص.
اجتاح الإعصار أراضي الجزيرة، مصحوباً برياح يُرجَّح أن سرعتها تجاوزت 322 كيلومتراً في الساعة، وكانت شديدة للغاية، حتى أن الناس لم يتمكنوا من سماع أصواتهم فيما بينهم بسبب شدة تلك الرياح. ولم يبقَ سوى "الطين والحطام والماشية النافقة والجثث المتعفنة".
بعد مغادرة باربادوس، مرّ الإعصار العظيم بجزر مارتينيك وسانت لوسيا وسانت يوستاتيوس، وجرفت أمواجٌ بلغ ارتفاعها سبعة أمتار قرىً بأكملها باتجاه البحر.
كما غرقت أساطيل كاملة من السفن الحربية البريطانية والفرنسية، فضلاً عن آلاف الأشخاص الذين كانوا على متنها، في قاع المحيط.

صدر الصورة، Alamy
وكان إعصار غالفستون عام 1900 هو الأكثر فتكاً في تاريخ الولايات المتحدة.
مرّ الإعصار فوق خليج المكسيك في أوائل سبتمبر/أيلول عام 1900، واشتدت قوته ليصنَّف ضمن الفئة الرابعة قبل أن يضرب مدينة غالفستون بولاية تكساس الأمريكية، في السادس من سبتمبر/أيلول.
ونُقل عن أحد الصيادين الناجين قوله: "كنا نجري واصطدمنا بجثث كثيرة لدرجة أنني اضطررتُ للتقدم برمحي ودفعها بعيداً... وكان ذلك أفظع ما رأيته في حياتي".
ويُقدر أن العاصفة تسببت في مصرع ما بين 6,000 إلى 8,000 شخص.

صدر الصورة، Getty Images
أكثر الأعاصير دماراً: كاترينا وميتش
وقد وقعت عواصف أشد فتكاً خارج حوض المحيط الأطلسي، حيث تُعرف هذه العواصف باسم الرياح الأعاصيرية أو الطوفان بدلاً من الأعاصير.
وقد اصطدم إعصار "بولا" عام 1970 بشمال شرق الهند وما كان يُعرف حينها بباكستان الشرقية (بنغلاديش حالياً).
وجلب معه رياحاً عاتيةً بلغ ارتفاعها ما يعادل 10 أمتار ونصف المتر، ويُعتقد أن ما يصل إلى 500 ألف شخص لقوا حتفهم بسبب ذلك الإعصار.

صدر الصورة، Getty
أكثر الأعاصير دماراً: "كاترينا" و"ميتش"
إن كيفية قياسنا لحجم الأضرار الناجمة عن الأعاصير، هي مسألة تحددها وجهات النطر - فبالنسبة لمن فقدوا ممتلكاتهم وسُبل عيشهم وأحباءهم، كانت العاصفة التي اجتاحت المنطقة مُدمرة.
ولكن إذا نظرنا إلى الأمر من حيث عدد المباني المدمرة فقط، سيتصدر إعصارا "كاترينا" و"ميتش" القائمة.
كما أن السبب الرئيسي وراء تصنيف إعصار "كاترينا"، بكونه أكثر الأعاصير كُلفةً في التاريخ هو حجم الدمار الهائل الذي خلّفه في أعقاب مروره عبر جنوب شرق الولايات المتحدة.
وتشير التقديرات إلى أن ما بين حوالي 217 ألفاً و300 ألف منزل، دُمرت أو أصبحت غير صالحة للسكن بسبب العاصفة التي أحدثها الإعصار.
إذ وصلت سرعة الرياح إلى 225 كيلومتراً في الساعة في جنوب شرق لويزيانا.
وبلغ ارتفاع العاصفة ما بين 7.6 متر إلى 8.5 متر فوق مستويات المد والجزر الطبيعية على طول ساحل المسيسيبي.
بينما وصل ارتفاعها إلى ما بين ثلاثة أمتار و6.1 متر فوق مستويات المد والجزر الطبيعية على طول ساحل جنوب شرق لويزيانا.
وفي مدينة نيو أورليانز، اجتاحت الأمواج الشديدة والعواصف العاتية، السدود المخصصة لحماية المدينة.

صدر الصورة، Getty Images
وبشكل عام، غمرت مياه الفيضانات، التي وصل عمقها إلى ستة أمتار، ما يقرب من 80 في المئة من المدينة، في حين تسبب 59 إعصاراً أحدثتهم العاصفة، في امتداد المزيد من الأضرار عبر ثماني ولايات.
وقد تسبب هذا الضرر في جعل إعصار كاترينا أكثر الأعاصير، التي ضربت الولايات المتحدة، كُلفةً على الإطلاق..
إذ بلغت خسائره الإجمالية 201.3 مليار دولار، عند تعديلها وفقاً لمعدل التضخم في عام 2024.
ويأتي في المرتبة الثانية بعد إعصار "كاترينا"، إعصار "هارفي" كثاني أكثر الأعاصير كلفةً، إذ تسبب في أضرار بلغت قيمتها 160 مليار دولار، عند وصوله إلى ولايتَيْ تكساس ولويزيانا.

صدر الصورة، Noaa
لكن قبل ذلك بما يقرب من سبع سنوات، تسبب إعصار آخر في إحداث دمار كبير يقارب ما أحدثه إعصار "كاترينا"..
ففي الولايات المتحدة، خلّف إعصار "ميتش" أضراراً طفيفة نسبياً، حيث دمر الإعصار 645 منزلاً في فلوريدا، بسبب الرياح التي اجتاحت خليج المكسيك من شبه جزيرة يوكاتان المكسيكية في أكتوبر/تشرين الأول 1998.
وعلى الرغم من ذلك، أحدث هذا الإعصار أسوأ ما كان يمكن أن يُحدثه.

صدر الصورة، Getty Images
وقبل أسبوع، ضرب إعصار "ميتش "هندوراس، ماحياً مجتمعات بأكملها، ومُخلّفاً وراءه دماراً واسعاً في أمريكا الوسطى. وبلغ هذا الإعصار أشُده، وصُنف على أنه إعصار من الفئة الخامسة، ولا يزال يُصنَّف على أنه من بين أشد الأعاصير التي أحدثت دماراً.
وبحلول الوقت الذي ضرب فيه الإعصار هندوراس، كان قد ضعفت قوته، ليُصنَّف على أنه من الفئة الأولى، ولكن عند وصوله إلى اليابسة، توقف، وظل يحوم فوق هندوراس، مُتسبباً في هطول كميات هائلة من الأمطار.
وأدت الفيضانات والانهيارات الأرضية، التي أعقبت ذلك، إلى وفاة ما بين 10 آلاف و19 ألف شخص في هندوراس ونيكاراغوا وغواتيمالا وبليز والسلفادور.
كما دُمر أو تضرر بشدة، ما لا يقل عن 200 ألف منزل بسبب العاصفة.
وقد دُمر، في هندوراس وحدها، 70 ألف منزل و92 جسراً، وغرقت قرىً بأكملها ابتلعتها أنهار من الطين كانت قد اجتاحت سفوح الجبال.
وقدّرت الأمم المتحدة أن أكثر من نصف مليون شخص فقدوا منازلهم.

صدر الصورة، Getty Images
أعلى سرعة للرياح
يفترض البعض أن أقوى العواصف هي التي تُسبب أكبر قدر من الدمار وتحصد أكبر عدد من الأرواح. لكن الأمر ليس كذلك دائماً.
كان إعصار "باتريشيا" العاصفة الـ 24 في موسم الأعاصير لعام 2015، وقد تشكّل قرب خليج تيوانتيبيك قبالة الساحل الجنوبي للمكسيك.
وقد تطور، بفضل الظروف المواتية، من عاصفة استوائية إلى إعصار من الفئة الخامسة في غضون 24 ساعة فقط.
في 23 أكتوبر/تشرين الأول، فإن أعلى سرعة للرياح التي سجلها إعصار "باتريشيا" على مدى أكثر من 10 ثوانٍ كانت 356 كيلومتراً في الساعة، وتم قياسها من طائرة أثناء التحليق (بلغت السرعة 356 كيلومتراً في الساعة على مستوى الأرض).
كانت هذه أعلى سرعة تم تسجيلها على الإطلاق في نصف الكرة الغربي، وكانت بنفس شدةِ واحدةٍ من أقوى العواصف التي تم تسجيلها على الإطلاق - إعصار "نانسي" عام 1961.

صدر الصورة، Getty Images
مرّ إعصار "باتريشيا" عبر مناطق غير مأهولة نسبياً بالمكسيك، ولم يمرّ بالمدن الكبرى، مما حدَّ من خسائره البشرية.
كما ضعف بشكل كبير بعد أن ضرب الساحل المكسيكي، على الرغم من وصوله إلى اليابسة بسرعة رياح قياسية بلغت 265 كيلومتراً في الساعة.
وقد أدى تأثير التضاريس الجبلية في المكسيك إلى إضعاف إعصار باتريشيا أكثر، وبحلول 24 أكتوبر/تشرين الأول، كان قد تلاشى إلى حد كبير.
وعلى الرغم من شدة إعصار "باتريشيا"، كانت المفاجأة أنه لم يتسبب سوى في مصرع شخصين فقط، كنتيجة مباشرة للعاصفة، بالإضافة إلى أربع وفيات أخرى غير مباشرة، وفقاً للإدارة الوطنية للمحيطات والغلاف الجوي في الولايات المتحدة.
التكثيف السريع
هذا الأسبوع، أصبح الإعصار "إيرين" أول إعصار في المحيط الأطلسي لعام 2025، حيث تجاوز البر الرئيسي للولايات المتحدة، ما دفع خبراء الأرصاد الجوية إلى إصدار تحذيرات لممارسي رياضة ركوب الأمواج بشأن التيارات العكسية.
ويُعتقد أنه أكثر الأعاصير التي سرعان ما تشتد قوتها سريعاً في هذا الوقت المبكر من الموسم. وعادةً ما تحدث العواصف الأقوى في أواخر العام، بعد الأول من سبتمبر/أيلول.
انتقل تصنيف إعصار "إيرين" من الفئة الأولى إلى الفئة الخامسة في غضون 24 ساعة فقط، قبل أن يضعف تصنيفه ضمن الفئة الثانية.
والتكثيف السريع هو زيادة في أقصى سرعة للرياح المستمرة للإعصار المداري بما لا يقل عن 30 عقدة في فترة 24 ساعة، وذلك وفقاً للخدمة الوطنية للأرصاد الجوية في الولايات المتحدة.
ويمكن أن تكون هذه النوعية من الأعاصير، التي تشتد بسرعة، ذات خطورة بشكل خاص لأن الناس لا يكون أمامهم سوى القليل من الوقت للاستعداد لها.

صدر الصورة، NASA
إن إعصار "إيرين" ليس الوحيد الذي اشتدت سرعته خلال السنوات الأخيرة. ففي عام 2024، أصبح إعصار "ميلتون" أسرع عاصفة أطلسية على الإطلاق، تطورت من كونها منخفضاً استوائياً إلى إعصار مُصنَّف ضمن الفئة الخامسة.
وفي العام نفسه، حطم الإعصار "بيريل" الرقم القياسي باعتباره أسرع عاصفة في المحيط الأطلسي على الإطلاق، والتي حدثت في أواخر يونيو/حزيران وأوائل يوليو/تموز، لتشتد سرعتها من منخفض استوائي إلى إعصار.
وفي عام 2023، فاجأ إعصارا "لي" و"جوفا" العلماء بتكثيف سرعتها المفاجئ، خاصة وأنهما حدثا خلال ظاهرة النينيو، التي عادة ما تعمل على تقليص نشاط الأعاصير في المحيط الأطلسي.
بالطبع، لطالما اشتدت سرعة الأعاصير بمعدلات متفاوتة. وهناك إعصاران أطلسيان آخران، وهما "فيليكس" عام 2007 و"ويلما" في عام 2005، واللذان تميّزا بتصاعد سرعتهما الاستثنائية.
لكن الأبحاث أظهرت أن إجمالي معدلات تكثيف السرعة قد زادت بشكل كبير خلال السنوات الأخيرة بسبب الاحتباس الحراري العالمي، وهو الاتجاه الذي من المتوقع أن يستمر.
ويعود الأمر كله إلى الأسطح البحرية الأكثر دفئاً التي تمرّ بها هذه العواصف جرّاء تغير المناخ. فعلى سبيل المثال، مرّ إعصار "إيرين" فوق مياه كانت درجة حرارتها في المتوسط أكثر دفئاً بمقدار 1.1 درجة مئوية، وذلك بسبب تغير المناخ.































