Skip to main contentAccess keys help

[an error occurred while processing this directive]
BBC News
watch One-Minute World News
Last Updated: Thursday, 16 September, 2004, 17:49 GMT 18:49 UK
In pictures: Ivan reaches US
A fire-fighter in Alabama examines the damage to a house in Dothan
1 of 11
Hurricane Ivan made landfall near Mobile, Alabama, battering coastline towns.
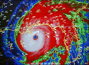
Enhanced satellite image of Ivan
2 of 11
The enormous storm, seen here in a satellite image with its eye just south of the Alabama coastline, is also affecting Florida, Mississippi and Louisiana.
Firefighters tackle a blaze in Gulfport, Mississippi
3 of 11
Hundreds of homes have been damaged, including this one which caught fire after a tree branch knocked a power line on to its roof.
Gulf Shores, Alabama
4 of 11
The full extent of the damage emerged at dawn.
Cecelia Shaw makes he way through a tree-crushed car and a mobile house to check her friends and animals that were still inside in Parker, Florida
5 of 11
There are fears that some people could have been killed in their cars and mobile houses by falling trees and flying debris.
A boy braces himself against the wind at Fort Walton Beach, Florida
6 of 11
Some curious locals had been testing themselves against gusts set to reach 135mph (217km/h).
A man in Alabama wades through flood water on his way to a shelter
7 of 11
But most had headed inland to spend the night in emergency shelters.
Anti-hurricane sandbags
8 of 11
Other residents had been filling sandbags in preparation.
Traffic crawls out of town along Interstate 10 in New Orleans as people evacuate the area
9 of 11
Warnings of Ivan's impending arrival sent New Orleans residents scurrying out of town for safety. Luckily, the town escaped with little visible damage.
Residents load their van with clothes during evacuation on Pensacola Beach, Florida
10 of 11
In total, more than two million people in three states - including here in Florida - were told to evacuate.
Waves crash on a beach at Destin, Florida
11 of 11
Hurricane Ivan is the region's third hurricane in a month, and it has been wreaking havoc in the Caribbean since last week.




PRODUCTS AND SERVICES

News Front Page | Africa | Americas | Asia-Pacific | Europe | Middle East | South Asia
UK | Business | Entertainment | Science/Nature | Technology | Health
Have Your Say | In Pictures | Week at a Glance | Country Profiles | In Depth | Programmes
AmericasAfricaEuropeMiddle EastSouth AsiaAsia Pacific